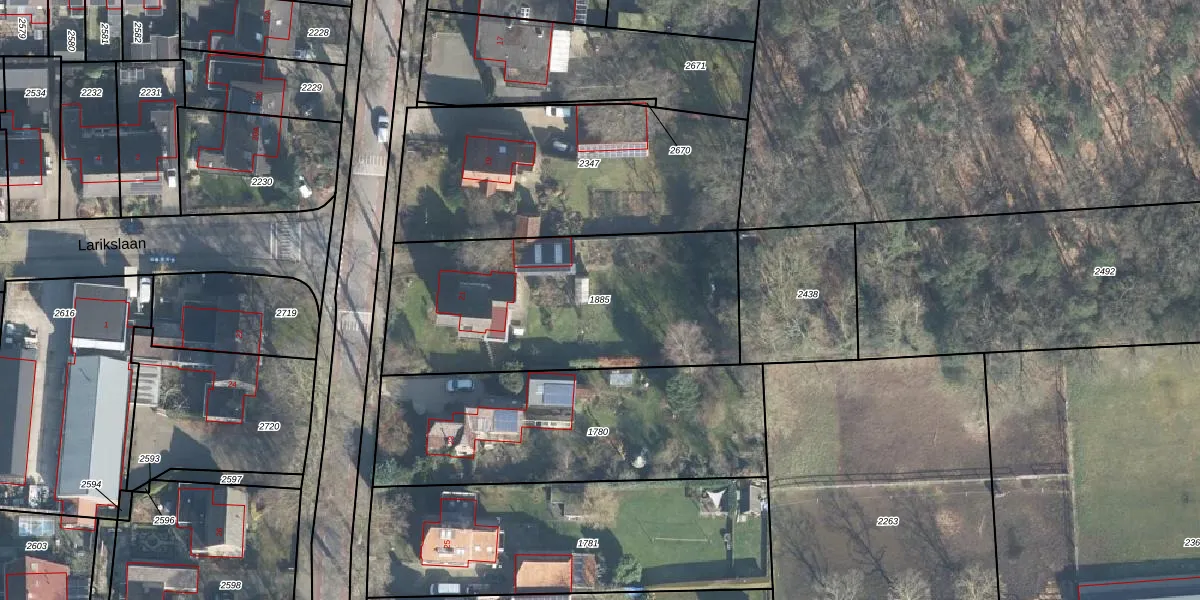
Perceel: LRN02-I-1885
KadastraleKaart.com kan meer dan je denktOntdek meer ›
Filter op bestemming 50+ datasets Eigendomsdata in één klik Percelen CRM
1.281 m2 - 162 m
Eigenaar opvragen
LRN02-I-1885 (Laren Gelderland)
- 7244 AT
N6XwVDUTq9lnXqeAEmve 9m2jv6Upgrade naar KadastraleKaart Pro
Verkoopprijs opvragen
Bekijk op Street View
Download DWG/DXF/Excel
4Eq CdVu F qUpgrade naar KadastraleKaart Pro
C0 IaTwHeanwXSCRPyZUpgrade naar KadastraleKaart Pro
G9 npqBm69ZUpgrade naar KadastraleKaart Pro
M8g9EqMfUpgrade naar KadastraleKaart Pro
a5ozjK861KhcEgA4bUpgrade naar KadastraleKaart Pro
2KrYpzyktr eLdxAWuRsqUpgrade naar KadastraleKaart Pro
0roo OzYmATG7xMJ0ay0Upgrade naar KadastraleKaart Pro
jVe bkYYSN8fguaUpgrade naar KadastraleKaart Pro
uLuxX QhKodRSaGVEIEwx Upgrade naar KadastraleKaart Pro
X UN wmrtC6kUpgrade naar KadastraleKaart Pro
13/10/2014

Percelen
Gebruik de zoekbalk of klik op een perceel om informatie over het perceel te bekijken.