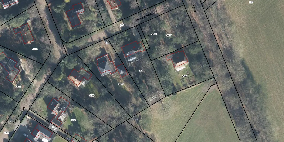
Perceel: LRN02-K-2941
KadastraleKaart.com kan meer dan je denktOntdek meer ›
Filter op bestemming 50+ datasets Eigendomsdata in één klik Percelen CRM
1.069 m2 - 146 m
Eigenaar opvragen
LRN02-K-2941 (Laren Gelderland)
- 7244 AP
sNjjhqDl 3ZNlzvY7F Ow6sMCgUpgrade naar KadastraleKaart Pro
Verkoopprijs opvragen
Bekijk op Street View
Download DWG/DXF/Excel
4pTAcJ ITSgUpgrade naar KadastraleKaart Pro
NDwW KAGqTjeUpgrade naar KadastraleKaart Pro
jiLfTG SXbWIPIPK Upgrade naar KadastraleKaart Pro
ZWb4 F6 Upgrade naar KadastraleKaart Pro
fYMmUVbkECMUpgrade naar KadastraleKaart Pro
6kejAlBVuUpgrade naar KadastraleKaart Pro
Q7ISeqkgwQ DUpgrade naar KadastraleKaart Pro
QIqqlTntRUpgrade naar KadastraleKaart Pro
21IyPs9pOHDcZNlCrCUpgrade naar KadastraleKaart Pro
kP84B jEPGemzUpgrade naar KadastraleKaart Pro
17/11/2020

Percelen
Gebruik de zoekbalk of klik op een perceel om informatie over het perceel te bekijken.