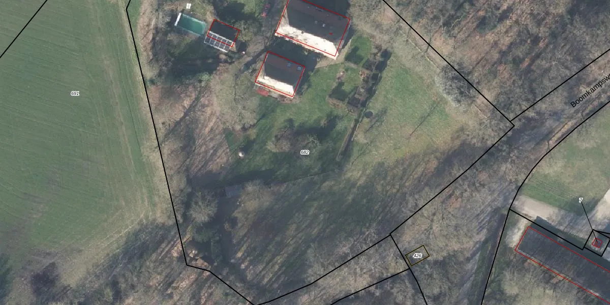
Perceel: LRN03-O-682
9.760 m2 - 380 m
Eigenaar opvragen
LRN03-O-682 (Laren-Verwolde)
- 7245 WC
ky Oh LySyfArb8OFGRj29ou vCUpgrade naar KadastraleKaart Pro
Verkoopprijs opvragen
Bekijk op Street View
Download DWG/DXF/Excel
mc4F9 lJjpZfFpcacw2MUpgrade naar KadastraleKaart Pro
QcYcKGj GcKH5J VXUpgrade naar KadastraleKaart Pro
qawEMBN6zuVmAHXUpgrade naar KadastraleKaart Pro
5QZw3wr9Upgrade naar KadastraleKaart Pro
lX7rk7CrUpgrade naar KadastraleKaart Pro
KTl8zISGBAIC00Yk83RUpgrade naar KadastraleKaart Pro
D7Fr1ciL3B f 0BQSEJ2 Upgrade naar KadastraleKaart Pro
207TtkrR gNlm3Upgrade naar KadastraleKaart Pro
P5IQSaMTwlUUpgrade naar KadastraleKaart Pro
i mOSF iQxxlmwtUpgrade naar KadastraleKaart Pro
06/10/2000

Percelen
Gebruik de zoekbalk of klik op een perceel om informatie over het perceel te bekijken.