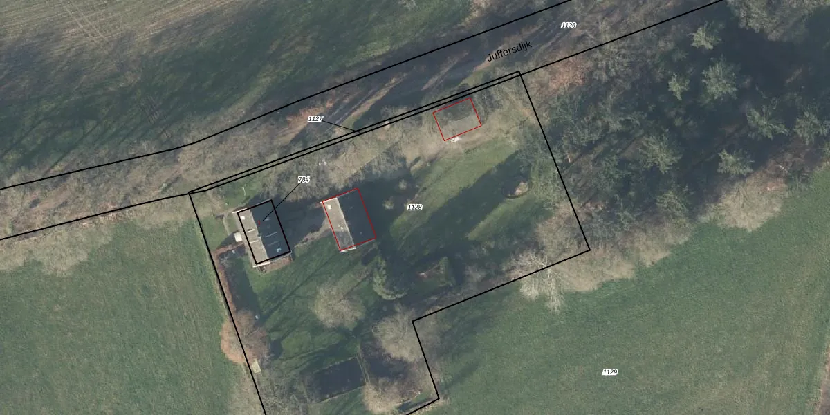
Perceel: LRN03-Q-1128
Geen adressen bij dit perceel
4.780 m2 - 353 m
Eigenaar opvragen
LRN03-Q-1128 (Laren-Verwolde)
- Geen postcode aanwezig
6 9K4Xhtx EnNfXGsTUpgrade naar KadastraleKaart Pro
Bekijk op Street View
Download DWG/DXF/Excel
yU4O1xTtSUpgrade naar KadastraleKaart Pro
ux RB1XqX6Upgrade naar KadastraleKaart Pro
cpsy4inavpL1OvJyTSrUpgrade naar KadastraleKaart Pro
hHs8kT5fyVbMUpgrade naar KadastraleKaart Pro
WB3vCiz2ZaPKlB14X08VUpgrade naar KadastraleKaart Pro
GuFrrUG31erDi3UayUpgrade naar KadastraleKaart Pro
D 8Cfr42FNq4R5f8GEe Upgrade naar KadastraleKaart Pro
8kHuykDMqnEd9o6 WZsCcw6Upgrade naar KadastraleKaart Pro
Tt7gFEs2gWwWOY Upgrade naar KadastraleKaart Pro
O5e mz iNV9HUpgrade naar KadastraleKaart Pro
11/09/2015

Percelen
Gebruik de zoekbalk of klik op een perceel om informatie over het perceel te bekijken.