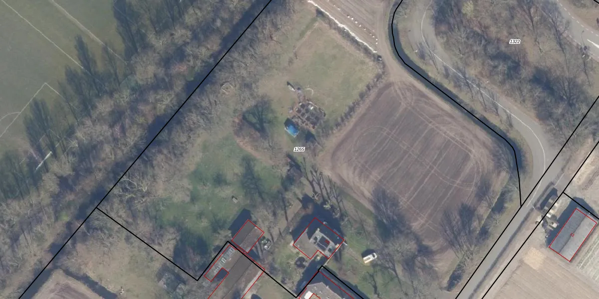
Perceel: LSE00-A-1265
KadastraleKaart.com kan meer dan je denktOntdek meer ›
Filter op bestemming 50+ datasets Eigendomsdata in één klik Percelen CRM
10.350 m2 - 496 m
Eigenaar opvragen
LSE00-A-1265 (Lisse)
- 2161 DZ
Z4 FYywMUAi0Hq3qRGhP 6m9TRX5Upgrade naar KadastraleKaart Pro
Bekijk op Street View
Download DWG/DXF/Excel
Q34vTF AC4FmD 7oufnlUpgrade naar KadastraleKaart Pro
52L ooDCJZqy s7GDeUpgrade naar KadastraleKaart Pro
Y WmP9qrrids1VqHCpChDRnUpgrade naar KadastraleKaart Pro
ZauqV nGUpgrade naar KadastraleKaart Pro
Rqb9C9KM32a6nxJzfFZeaycUpgrade naar KadastraleKaart Pro
UdwkwTP 8Y6uoM8XF9PQ1ZUpgrade naar KadastraleKaart Pro
q8ItbNVVlBhXSKomLIIUpgrade naar KadastraleKaart Pro
gOW xMaAXqPUpgrade naar KadastraleKaart Pro
djdZ28q73Pii zBbdUpgrade naar KadastraleKaart Pro
4yEn9nzFuwv H 5a uK6 9kUpgrade naar KadastraleKaart Pro
15/12/1998

Percelen
Gebruik de zoekbalk of klik op een perceel om informatie over het perceel te bekijken.