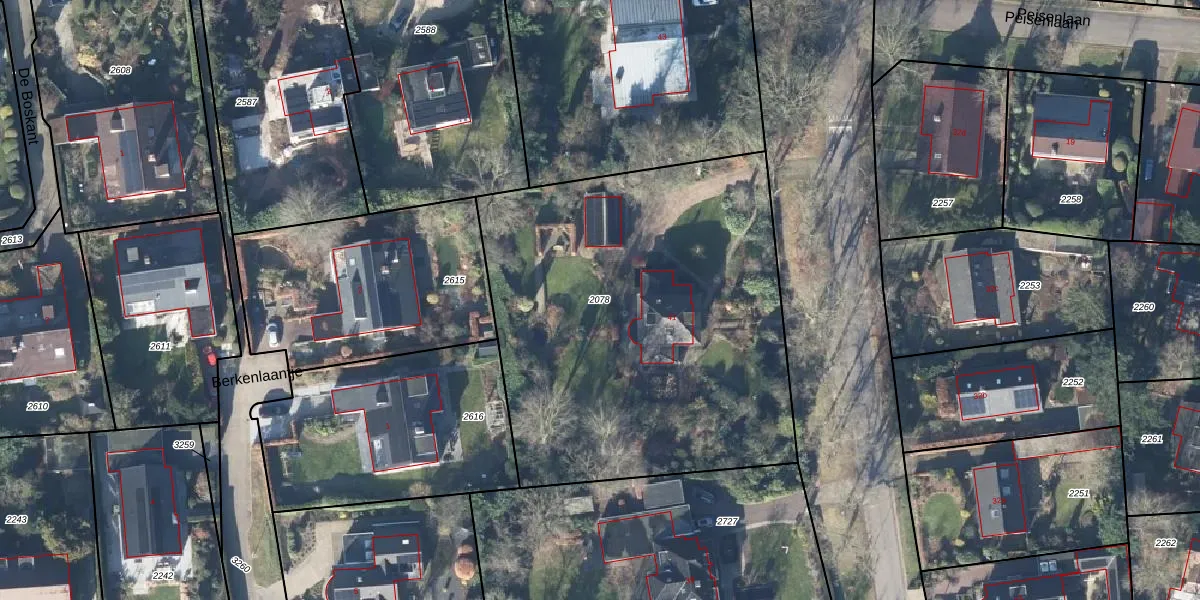
Perceel: LSM00-C-2078
2.410 m2 - 197 m
Eigenaar opvragen
LSM00-C-2078 (Leersum)
- 3956 BM
gT sgyA9DnOxZd1JAu WjT4w1 dHi8Upgrade naar KadastraleKaart Pro
Verkoopprijs opvragen
Bekijk op Street View
Download DWG/DXF/Excel
wrD6My2dwXtsUpgrade naar KadastraleKaart Pro
EFPDHipDCX0JUpgrade naar KadastraleKaart Pro
8 mKzxTrA5 IUUpgrade naar KadastraleKaart Pro
aljPc3p8rFAX2w33HTOjq8jUpgrade naar KadastraleKaart Pro
AtSPEzmiPSUpgrade naar KadastraleKaart Pro
sh9 S vPrYwvEey Pv7kG7Upgrade naar KadastraleKaart Pro
sn1i0WpzG5tcfL78x5aLUpgrade naar KadastraleKaart Pro
h1SDjDWSQvjh2MtBfDRizaUpgrade naar KadastraleKaart Pro
XWBpv1tk9riQ9 Upgrade naar KadastraleKaart Pro
5rJMy fO0 2ZOkmlUpgrade naar KadastraleKaart Pro
24/11/2009

Percelen
Gebruik de zoekbalk of klik op een perceel om informatie over het perceel te bekijken.