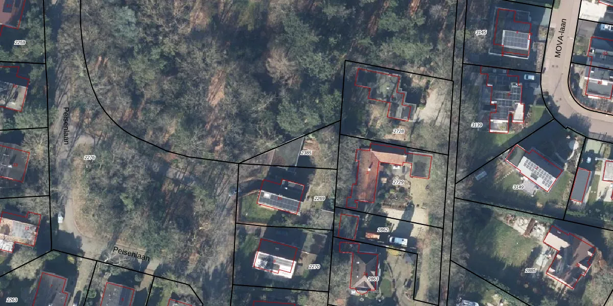
Perceel: LSM00-C-2385
Geen adressen bij dit perceel
268 m2 - 84 m
Eigenaar opvragen
LSM00-C-2385 (Leersum)
- Geen postcode aanwezig
5e2yekxFn4k9RxO0VmzaPOUpgrade naar KadastraleKaart Pro
Bekijk op Street View
Download DWG/DXF/Excel
ZRYda 2L278iUW53Upgrade naar KadastraleKaart Pro
4LdlA2dOR5NCM z5W0TZOUpgrade naar KadastraleKaart Pro
YW 9czeUMcUpgrade naar KadastraleKaart Pro
CciU NEuCDH6IZg6Uz Upgrade naar KadastraleKaart Pro
r1jRcu5QpLPabpx3WUpgrade naar KadastraleKaart Pro
klmXDstx0ewudXhIXZY2Upgrade naar KadastraleKaart Pro
lDs 1Mj88DuUpgrade naar KadastraleKaart Pro
9eR3s6bGUpgrade naar KadastraleKaart Pro
LsZfadnhezVUpgrade naar KadastraleKaart Pro
pqEz3rF1 l8Egn2 8ViUpgrade naar KadastraleKaart Pro
21/03/2005

Percelen
Gebruik de zoekbalk of klik op een perceel om informatie over het perceel te bekijken.