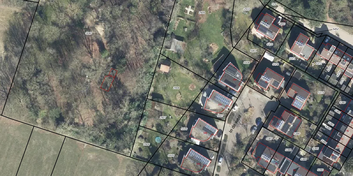
Perceel: LSM00-C-2908
Geen adressen bij dit perceel
645 m2 - 103 m
Eigenaar opvragen
LSM00-C-2908 (Leersum)
- Geen postcode aanwezig
i 8PjNelhtTPxVh4zoCGQ2lcD MUpgrade naar KadastraleKaart Pro
Bekijk op Street View
Download DWG/DXF/Excel
H lJcU7muHob k0 b jnUpgrade naar KadastraleKaart Pro
3b8cUaf 9mUccIFEdQ k SUpgrade naar KadastraleKaart Pro
hRdDndMLyp17PDUOgzle06wUpgrade naar KadastraleKaart Pro
oBOZgFR7Upgrade naar KadastraleKaart Pro
UmHjr8G R5oMSr21TUpgrade naar KadastraleKaart Pro
4cLv cJBxUpgrade naar KadastraleKaart Pro
bMPwn4zzBUpgrade naar KadastraleKaart Pro
F GGBPaKNUzK3Tf822OoQUpgrade naar KadastraleKaart Pro
YILowU5MPG DRooHOmDVVUpgrade naar KadastraleKaart Pro
T dNk0c8I AUpgrade naar KadastraleKaart Pro
10/01/2006

Percelen
Gebruik de zoekbalk of klik op een perceel om informatie over het perceel te bekijken.