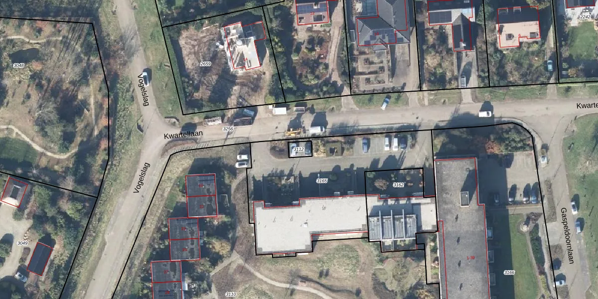
Perceel: LSM00-C-3112
Geen adressen bij dit perceel
40 m2 - 26 m
Eigenaar opvragen
LSM00-C-3112 (Leersum)
- Geen postcode aanwezig
nTGeZGZSY4eNyymYZ5mNW3D0CIUpgrade naar KadastraleKaart Pro
Bekijk op Street View
Download DWG/DXF/Excel
8GTXctVWbakFFIgUpgrade naar KadastraleKaart Pro
28jk u502QnUpgrade naar KadastraleKaart Pro
6FIzTh c5 K rftUpgrade naar KadastraleKaart Pro
ziRCLdy0pt6oUpgrade naar KadastraleKaart Pro
Mhz4cKnQvfxaN8pkHqGE9ZpUpgrade naar KadastraleKaart Pro
xnSPydYBBD Upgrade naar KadastraleKaart Pro
1MiEKa fFQ NAknmnR5Upgrade naar KadastraleKaart Pro
eBskNyEENMkaVYUpgrade naar KadastraleKaart Pro
jEifGAxQ kcAQFNxUpgrade naar KadastraleKaart Pro
aFrO XGsoWTQvY9Upgrade naar KadastraleKaart Pro
08/03/2018

Percelen
Gebruik de zoekbalk of klik op een perceel om informatie over het perceel te bekijken.