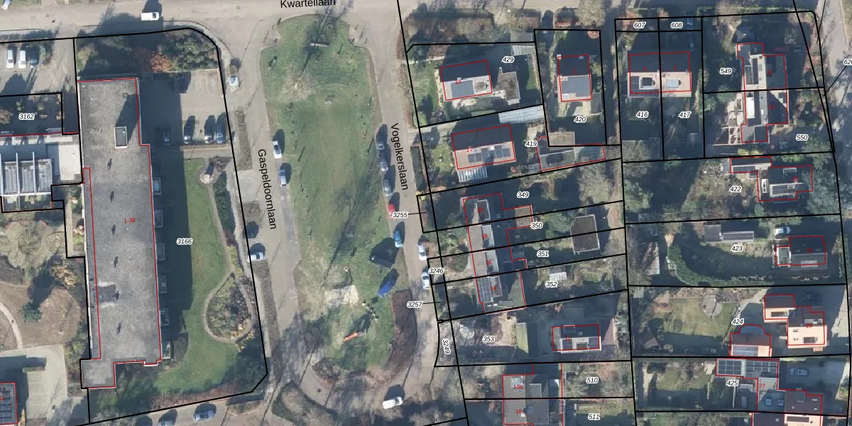
Perceel: LSM00-C-3255
Geen adressen bij dit perceel
28 m2 - 24 m
Eigenaar opvragen
LSM00-C-3255 (Leersum)
- Geen postcode aanwezig
5wEvCZJXl ssg3CRGc v8LSV1dK1Upgrade naar KadastraleKaart Pro
Bekijk op Street View
Download DWG/DXF/Excel
1c8vUor6MUpgrade naar KadastraleKaart Pro
KJQBXhfo7U9qfqiW5W7EpduUpgrade naar KadastraleKaart Pro
IiTs7CkiJ8hRHW PdUpgrade naar KadastraleKaart Pro
yc6Yx95JKmnLWWFij UZ Upgrade naar KadastraleKaart Pro
RA K3iFDQUpgrade naar KadastraleKaart Pro
QP pRYFmUpgrade naar KadastraleKaart Pro
3ooqtDBWCDokvQQrU4Q qmIUpgrade naar KadastraleKaart Pro
z yr lxzTj9Vi L4KqUpgrade naar KadastraleKaart Pro
ubmHe 19QHQy ePN8P5FlEUUpgrade naar KadastraleKaart Pro
UmT6 TQJzPDyZNSUpgrade naar KadastraleKaart Pro
03/05/2023

Percelen
Gebruik de zoekbalk of klik op een perceel om informatie over het perceel te bekijken.