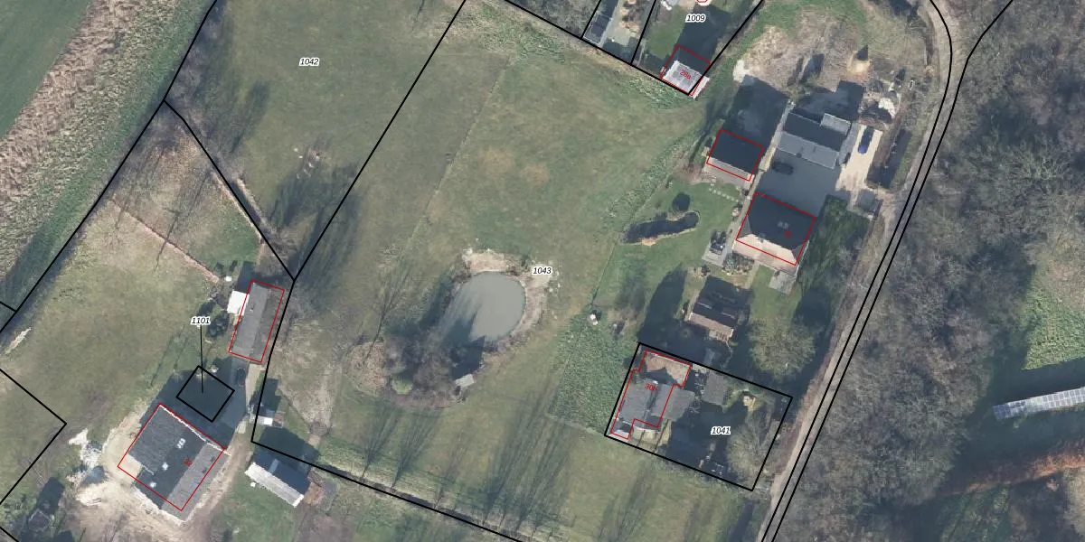
Perceel: LSM00-E-1043
9.355 m2 - 523 m
Eigenaar opvragen
LSM00-E-1043 (Leersum)
- 3956 ND
un21b l3s CzoVq9dIRMHUpgrade naar KadastraleKaart Pro
Verkoopprijs opvragen
Bekijk op Street View
Download DWG/DXF/Excel
bnlh4Y6W4TLZ1P1UlUpgrade naar KadastraleKaart Pro
EzxHa9bi9xqAGz9Upgrade naar KadastraleKaart Pro
e3 q1q4LMUguk6rr4WBXUpgrade naar KadastraleKaart Pro
ZOrDL1PkVRVc t8W9Upgrade naar KadastraleKaart Pro
4BGHUguGN0Ogv uv6Upgrade naar KadastraleKaart Pro
XbDvT6JVeKUpgrade naar KadastraleKaart Pro
qgG8acPH g6hrm6seR7XM7kUpgrade naar KadastraleKaart Pro
zbEgM8JZ5n1EUpgrade naar KadastraleKaart Pro
d8a1oTe9ik1DMcKxvCymUpgrade naar KadastraleKaart Pro
b 7f sAhrQjLy9deHUpgrade naar KadastraleKaart Pro
20/12/2001

Percelen
Gebruik de zoekbalk of klik op een perceel om informatie over het perceel te bekijken.