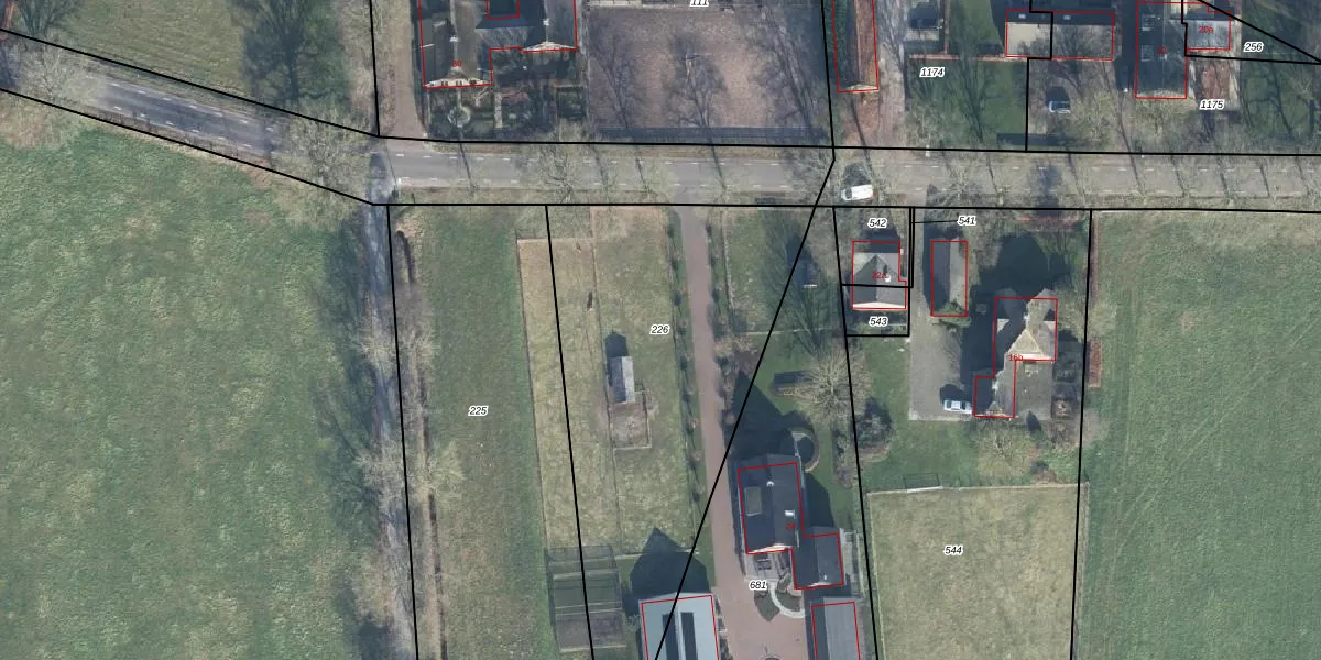
Perceel: LSM00-H-226
Geen adressen bij dit perceel
1.810 m2 - 225 m
Eigenaar opvragen
LSM00-H-226 (Leersum)
- Geen postcode aanwezig
rczONRt9Z xkU xxWjLz8tep6pUpgrade naar KadastraleKaart Pro
Bekijk op Street View
Download DWG/DXF/Excel
ZVWLRN8p1 nTUpgrade naar KadastraleKaart Pro
aKjeL TwUpgrade naar KadastraleKaart Pro
4LYa8zZ5 dutA1XJ i1RAUpgrade naar KadastraleKaart Pro
6L5Bn32rsfWhPR y8H7msFUpgrade naar KadastraleKaart Pro
fyNWwCzMapJn1skD ZgC2Upgrade naar KadastraleKaart Pro
yY2i5nrBy5B 4J1M0Upgrade naar KadastraleKaart Pro
ZH8wBEmX7WvXD 47 upr Upgrade naar KadastraleKaart Pro
Rxw0Dx4QORbiGUpgrade naar KadastraleKaart Pro
KpFmb4UKfdpSSeKXRQUpgrade naar KadastraleKaart Pro
r7okcvm8PWvzNJ69SIUpgrade naar KadastraleKaart Pro
04/04/2007

Percelen
Gebruik de zoekbalk of klik op een perceel om informatie over het perceel te bekijken.