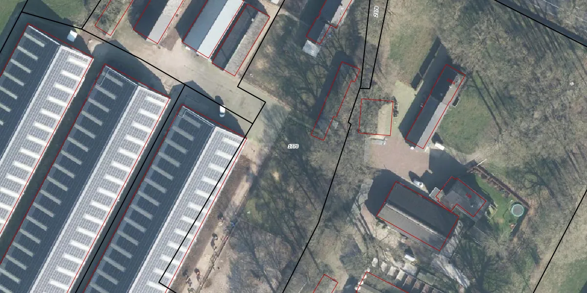
Perceel: LTR00-A-1770
KadastraleKaart.com kan meer dan je denktOntdek meer ›
Filter op bestemming 50+ datasets Eigendomsdata in één klik Percelen CRM
4.725 m2 - 352 m
Eigenaar opvragen
LTR00-A-1770 (Lunteren)
- 6741 GC
YraX2MumW wWUZ4U05Upgrade naar KadastraleKaart Pro
Verkoopprijs opvragen
Bekijk op Street View
Download DWG/DXF/Excel
s1BiwXEBkMUpgrade naar KadastraleKaart Pro
QJ4q4M v9 FReqluuUpgrade naar KadastraleKaart Pro
T7Eoj HOGiBxMG4uLJxgX4IUpgrade naar KadastraleKaart Pro
NwdMSGrwpK9pZzQ Upgrade naar KadastraleKaart Pro
n2F3I7 3U vmCcjUpgrade naar KadastraleKaart Pro
mqG xr jv CfUw7Upgrade naar KadastraleKaart Pro
xJGPRyOZPq h 0eiW6Upgrade naar KadastraleKaart Pro
noqd8HSx wg2O8dascUpgrade naar KadastraleKaart Pro
Wb27xe6tingk1sUpgrade naar KadastraleKaart Pro
pQ37NZx4Upgrade naar KadastraleKaart Pro
28/09/2012

Percelen
Gebruik de zoekbalk of klik op een perceel om informatie over het perceel te bekijken.