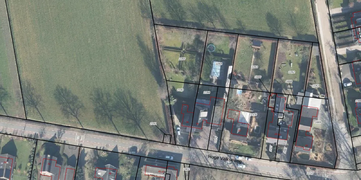
Perceel: LTR00-A-2143
KadastraleKaart.com kan meer dan je denktOntdek meer ›
Filter op bestemming 50+ datasets Eigendomsdata in één klik Percelen CRM
430 m2 - 97 m
Eigenaar opvragen
LTR00-A-2143 (Lunteren)
- 6741 GM
pE7uMcZpmy0fXFsEiBnDUpgrade naar KadastraleKaart Pro
Bekijk op Street View
Download DWG/DXF/Excel
6dKxUhIgR38ehUpgrade naar KadastraleKaart Pro
eiD f h8wySGD ui8Upgrade naar KadastraleKaart Pro
Y2UWrK 48Upgrade naar KadastraleKaart Pro
6ej5pCdv8 y3DPDvi l8Upgrade naar KadastraleKaart Pro
6uy pu KZM5N0WUpgrade naar KadastraleKaart Pro
u0dNe 9xW7ESfFGUpgrade naar KadastraleKaart Pro
iGjkwRl 9q STW4Upgrade naar KadastraleKaart Pro
lc3dgB sxUKPv3YUpgrade naar KadastraleKaart Pro
bV9vU6Qmk AWiU0Upgrade naar KadastraleKaart Pro
I Hl7U0wHjknGcqHuUpgrade naar KadastraleKaart Pro
13/09/2010

Percelen
Gebruik de zoekbalk of klik op een perceel om informatie over het perceel te bekijken.