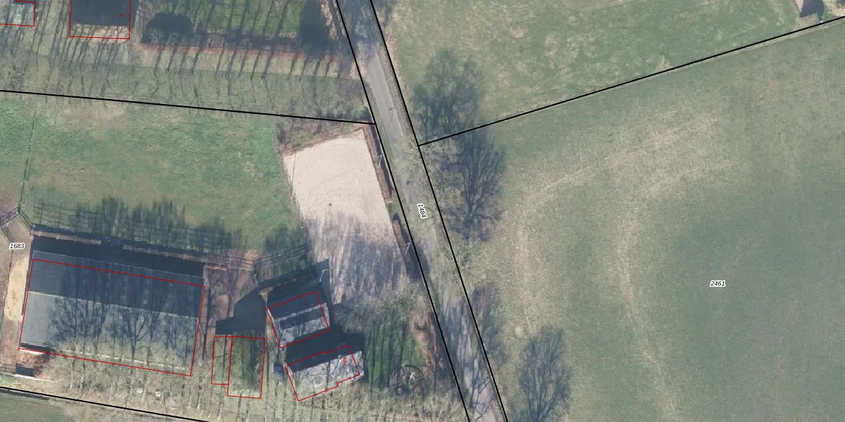
Perceel: LTR00-B-1484
KadastraleKaart.com kan meer dan je denktOntdek meer ›
Filter op bestemming 50+ datasets Eigendomsdata in één klik Percelen CRM
Geen adressen bij dit perceel
8.820 m2 - 2.124 m
Eigenaar opvragen
LTR00-B-1484 (Lunteren)
- Geen postcode aanwezig
wZVXwWTTbzamo W4730FaMUpgrade naar KadastraleKaart Pro
Bekijk op Street View
Download DWG/DXF/Excel
01 frl6zrnQWUpgrade naar KadastraleKaart Pro
Qtpkd x9NUpgrade naar KadastraleKaart Pro
oKAD QPk9P7kO T6oqUpgrade naar KadastraleKaart Pro
7EfpQmpWn ZgUpgrade naar KadastraleKaart Pro
2Ews91YwAzHdBVHB06Upgrade naar KadastraleKaart Pro
5db ev3j4XgU z kJz Upgrade naar KadastraleKaart Pro
NPBdo2 IAbQW uF1 H48CaUpgrade naar KadastraleKaart Pro
w1Ahq9nlEm0ayTzGFUpgrade naar KadastraleKaart Pro
GxqXVF5UJCyUpgrade naar KadastraleKaart Pro
djr0N9 KLFIDjOI8 9DN5IAUpgrade naar KadastraleKaart Pro
17/09/2024

Percelen
Gebruik de zoekbalk of klik op een perceel om informatie over het perceel te bekijken.