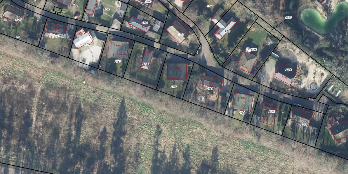
Perceel: LTR00-B-1785
KadastraleKaart.com kan meer dan je denktOntdek meer ›
Filter op bestemming 50+ datasets Eigendomsdata in één klik Percelen CRM
370 m2 - 78 m
Eigenaar opvragen
LTR00-B-1785 (Lunteren)
- 6741 HP
7 lptlOBGhP9rjRjx luSZelUpgrade naar KadastraleKaart Pro
Verkoopprijs opvragen
Bekijk op Street View
Download DWG/DXF/Excel
zu17DZjn8Upgrade naar KadastraleKaart Pro
McT0p 560aOMxo0Upgrade naar KadastraleKaart Pro
K IyAv hUpgrade naar KadastraleKaart Pro
wFa8fsrMqT7ANeQSxeUpgrade naar KadastraleKaart Pro
1 1rzairUpgrade naar KadastraleKaart Pro
sa Y9cL 18RerNCUpgrade naar KadastraleKaart Pro
W jReslHe HQ4Upgrade naar KadastraleKaart Pro
6UhujcrB 6ZejOnUC7vOTOUpgrade naar KadastraleKaart Pro
GH CgzdMvBcxUpgrade naar KadastraleKaart Pro
3 9cd9D Upgrade naar KadastraleKaart Pro
02/10/2006

Percelen
Gebruik de zoekbalk of klik op een perceel om informatie over het perceel te bekijken.