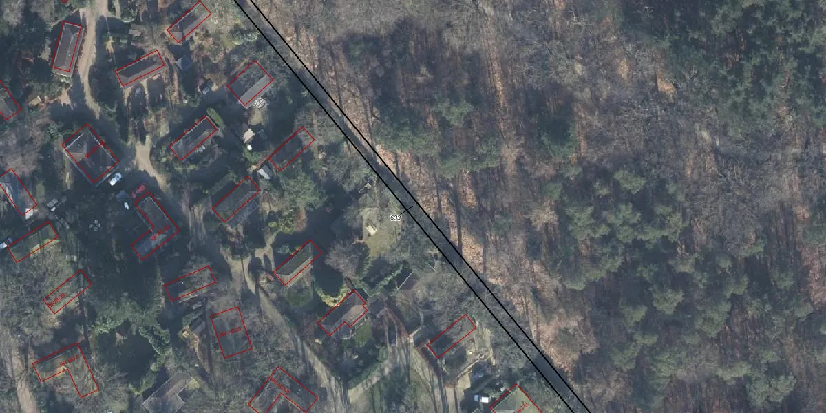
Perceel: LTR00-B-633
KadastraleKaart.com kan meer dan je denktOntdek meer ›
Filter op bestemming 50+ datasets Eigendomsdata in één klik Percelen CRM
Geen adressen bij dit perceel
1.965 m2 - 1.295 m
Eigenaar opvragen
LTR00-B-633 (Lunteren)
- Geen postcode aanwezig
neR55lCR28zbcU8o4A6 rUzqc 3dyUpgrade naar KadastraleKaart Pro
Bekijk op Street View
Download DWG/DXF/Excel
mp6RWzyizYUG8Upgrade naar KadastraleKaart Pro
tDR8Iriu21Upgrade naar KadastraleKaart Pro
7A Xp 4GpmrxlscUpgrade naar KadastraleKaart Pro
PaGcD A PUpgrade naar KadastraleKaart Pro
PPmJzWsjKzG7 Upgrade naar KadastraleKaart Pro
qCG l K8Upgrade naar KadastraleKaart Pro
fc84OJG 31E0 Y5O zmP9Upgrade naar KadastraleKaart Pro
P0g81iTaUpgrade naar KadastraleKaart Pro
U jfTWbAQ7zOXszEOUpgrade naar KadastraleKaart Pro
tk6Bzos4Upgrade naar KadastraleKaart Pro
28/01/2003

Percelen
Gebruik de zoekbalk of klik op een perceel om informatie over het perceel te bekijken.