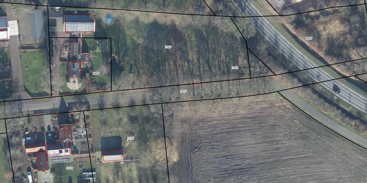
Perceel: LTR00-C-3697
KadastraleKaart.com kan meer dan je denktOntdek meer ›
Filter op bestemming 50+ datasets Eigendomsdata in één klik Percelen CRM
Geen adressen bij dit perceel
3.275 m2 - 713 m
Eigenaar opvragen
LTR00-C-3697 (Lunteren)
- Geen postcode aanwezig
VN1fycHijb12K w9XLvWUpgrade naar KadastraleKaart Pro
Bekijk op Street View
Download DWG/DXF/Excel
A krfK JCm4B gIUpgrade naar KadastraleKaart Pro
Btx5ljrTHUpgrade naar KadastraleKaart Pro
Oq4i77I9FGNVAvCsY9AFMkUpgrade naar KadastraleKaart Pro
l6Ua0K5GY2 Evvxj vUpgrade naar KadastraleKaart Pro
PTwn TmkqyUpgrade naar KadastraleKaart Pro
3T2hVhLVJKjKkWUpgrade naar KadastraleKaart Pro
5ow P8JT 6iua Upgrade naar KadastraleKaart Pro
JxjGejnP6SwUpgrade naar KadastraleKaart Pro
vkbRxyU71jpFUpgrade naar KadastraleKaart Pro
DYYejl39jStkpQvkA2RwhUpgrade naar KadastraleKaart Pro
26/11/2013

Percelen
Gebruik de zoekbalk of klik op een perceel om informatie over het perceel te bekijken.