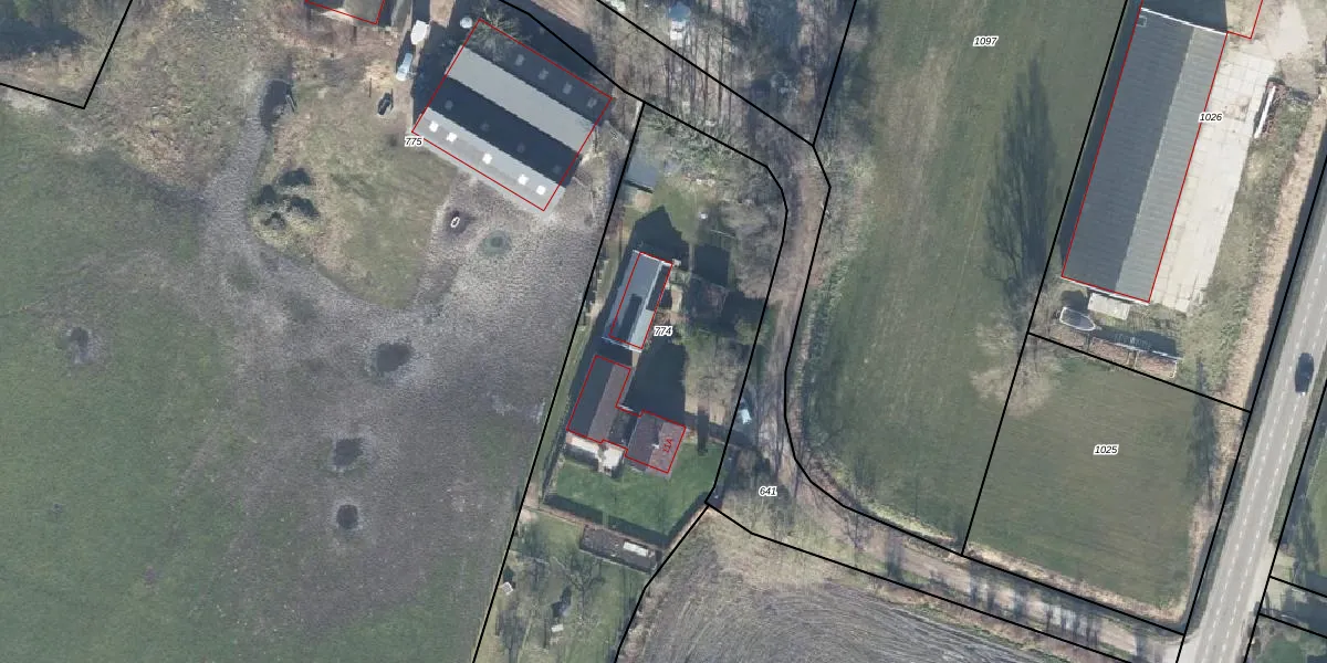
Perceel: LTR00-D-774
KadastraleKaart.com kan meer dan je denktOntdek meer ›
Filter op bestemming 50+ datasets Eigendomsdata in één klik Percelen CRM
2.307 m2 - 231 m
Eigenaar opvragen
LTR00-D-774 (Lunteren)
- 6741 PL
bl8zD GA1lgut7NhUpgrade naar KadastraleKaart Pro
Verkoopprijs opvragen
Bekijk op Street View
Download DWG/DXF/Excel
hp04SF8tcvie2EcpUpgrade naar KadastraleKaart Pro
GuCMPb3 X9dLC3jUpgrade naar KadastraleKaart Pro
OQth2 tWSaUpgrade naar KadastraleKaart Pro
0Xd8dCqasUpgrade naar KadastraleKaart Pro
aXOWZopUuIGh2cuLQa1jUpgrade naar KadastraleKaart Pro
qSTkg9VJpeEvUpgrade naar KadastraleKaart Pro
9RQ0tThjatHRTHUpgrade naar KadastraleKaart Pro
vtwYN1ZJywIU9 uQAyHUpgrade naar KadastraleKaart Pro
VksE0lE Upgrade naar KadastraleKaart Pro
1X8CUhyHNiFDBzCG bedUpgrade naar KadastraleKaart Pro
28/01/2003

Percelen
Gebruik de zoekbalk of klik op een perceel om informatie over het perceel te bekijken.