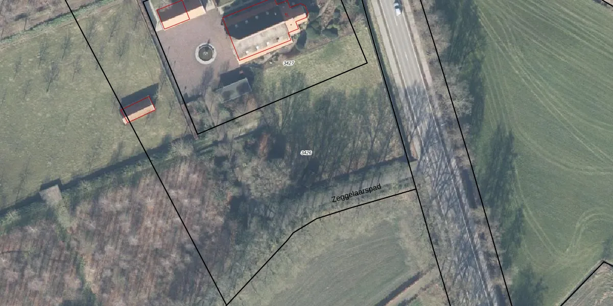
Perceel: LTR00-F-3426
KadastraleKaart.com kan meer dan je denktOntdek meer ›
Filter op bestemming 50+ datasets Eigendomsdata in één klik Percelen CRM
Geen adressen bij dit perceel
6.895 m2 - 622 m
Eigenaar opvragen
LTR00-F-3426 (Lunteren)
- Geen postcode aanwezig
mmq vq aA PEib9diUpgrade naar KadastraleKaart Pro
Bekijk op Street View
Download DWG/DXF/Excel
AsatRRGwJ6V7kP76Upgrade naar KadastraleKaart Pro
NTti sx B4cojd Fm FAUpgrade naar KadastraleKaart Pro
xuBx2CwAqwUpgrade naar KadastraleKaart Pro
imIVUWs2K iUpgrade naar KadastraleKaart Pro
SanGbk VZUpgrade naar KadastraleKaart Pro
ScAOWf9GdVOgRGcY5VdeUpgrade naar KadastraleKaart Pro
4m5lELHZTgKxCF qZUpgrade naar KadastraleKaart Pro
7r8pMplecV ERXVzR Lr0vUpgrade naar KadastraleKaart Pro
DWjYDXpt6 eLDTvUpgrade naar KadastraleKaart Pro
pQI39 bzYV YRnNsjL 8Upgrade naar KadastraleKaart Pro
01/06/2011

Percelen
Gebruik de zoekbalk of klik op een perceel om informatie over het perceel te bekijken.