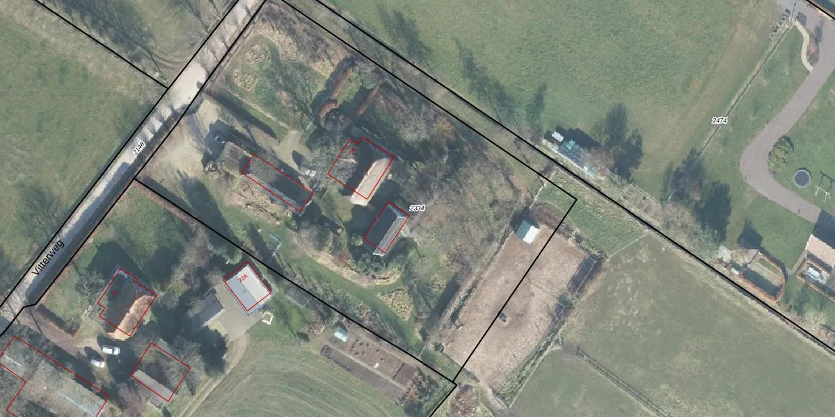
Perceel: LTR00-G-2334
KadastraleKaart.com kan meer dan je denktOntdek meer ›
Filter op bestemming 50+ datasets Eigendomsdata in één klik Percelen CRM
4.960 m2 - 287 m
Eigenaar opvragen
LTR00-G-2334 (Lunteren)
- 6741 JN
h3VEIhQ4lYivZYnBzxa Ms2VDosh1Upgrade naar KadastraleKaart Pro
Verkoopprijs opvragen
Bekijk op Street View
Download DWG/DXF/Excel
bPRRqHYVW 99CwEfQbR Upgrade naar KadastraleKaart Pro
3jjn86oZm BUpgrade naar KadastraleKaart Pro
s2BxiD8QXTIIIS6gki8Upgrade naar KadastraleKaart Pro
E79U1x1XI30U0ExUpgrade naar KadastraleKaart Pro
h6BG5OYm 7j75pPxjUM tioUpgrade naar KadastraleKaart Pro
76e 5F95IcUpgrade naar KadastraleKaart Pro
S7Y8xd7H Rnc80Upgrade naar KadastraleKaart Pro
ZI yLtYiE MK294XZ1P2W7CUpgrade naar KadastraleKaart Pro
jhFtOGCD0sywBuUpgrade naar KadastraleKaart Pro
hdqE60Jqd5Upgrade naar KadastraleKaart Pro
28/01/2003

Percelen
Gebruik de zoekbalk of klik op een perceel om informatie over het perceel te bekijken.