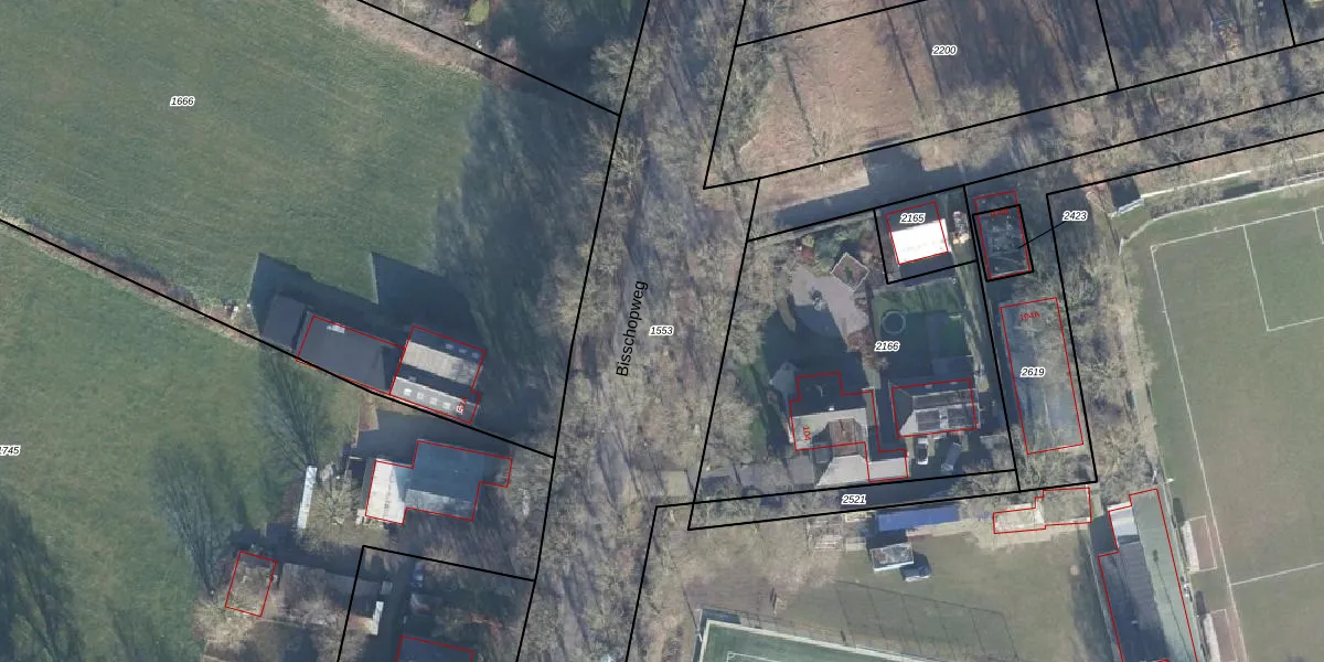
Perceel: LTR00-I-1553
KadastraleKaart.com kan meer dan je denktOntdek meer ›
Filter op bestemming 50+ datasets Eigendomsdata in één klik Percelen CRM
Geen adressen bij dit perceel
5.250 m2 - 779 m
Eigenaar opvragen
LTR00-I-1553 (Lunteren)
- Geen postcode aanwezig
Ctu2gkcZuHy2JXV 5HBUpgrade naar KadastraleKaart Pro
Bekijk op Street View
Download DWG/DXF/Excel
4kaJgdn1Tk9T3dIqUpgrade naar KadastraleKaart Pro
690NGifeUpgrade naar KadastraleKaart Pro
jS155tDyRPiQyUpgrade naar KadastraleKaart Pro
Wi0 8 v lUiJXSl Upgrade naar KadastraleKaart Pro
KKy4qaEF4RZkXfMC GUpgrade naar KadastraleKaart Pro
Mi4VxeosmomSGI7cVEX9Upgrade naar KadastraleKaart Pro
GF8H70rhWZEkIgIUpgrade naar KadastraleKaart Pro
vII2fNM6myR1OrUpgrade naar KadastraleKaart Pro
XSar 9vRcIMINpccUpgrade naar KadastraleKaart Pro
4 D8KxEZ Upgrade naar KadastraleKaart Pro
31/10/2013

Percelen
Gebruik de zoekbalk of klik op een perceel om informatie over het perceel te bekijken.