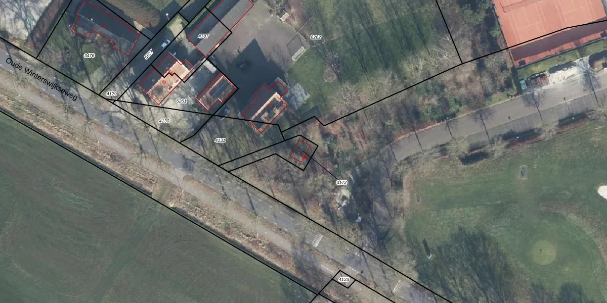
Perceel: LTV00-B-3172
KadastraleKaart.com kan meer dan je denktOntdek meer ›
Filter op bestemming 50+ datasets Eigendomsdata in één klik Percelen CRM
148 m2 - 77 m
Eigenaar opvragen
LTV00-B-3172 (Lichtenvoorde)
- Geen postcode aanwezig
TKHxLm0gYZ 5z nPWWlaoUpgrade naar KadastraleKaart Pro
Bekijk op Street View
Download DWG/DXF/Excel
rPYB1LWxSUpgrade naar KadastraleKaart Pro
aOuwOitI6Upgrade naar KadastraleKaart Pro
HvTNv L2Upgrade naar KadastraleKaart Pro
Jfnsd EVoXsTH f LUpgrade naar KadastraleKaart Pro
o2jFLBAubfzv4t luoK4OUpgrade naar KadastraleKaart Pro
giR xjo0fqX n h0hxUpgrade naar KadastraleKaart Pro
Os8HWm5VozfX6OisMlUpgrade naar KadastraleKaart Pro
Gp9VvsBma6SMqcQPUpgrade naar KadastraleKaart Pro
57fiCz4CY1kFQHwz80G ZvMUpgrade naar KadastraleKaart Pro
BN23K JO1l9xZl1acHUpgrade naar KadastraleKaart Pro
30/05/2011

Percelen
Gebruik de zoekbalk of klik op een perceel om informatie over het perceel te bekijken.