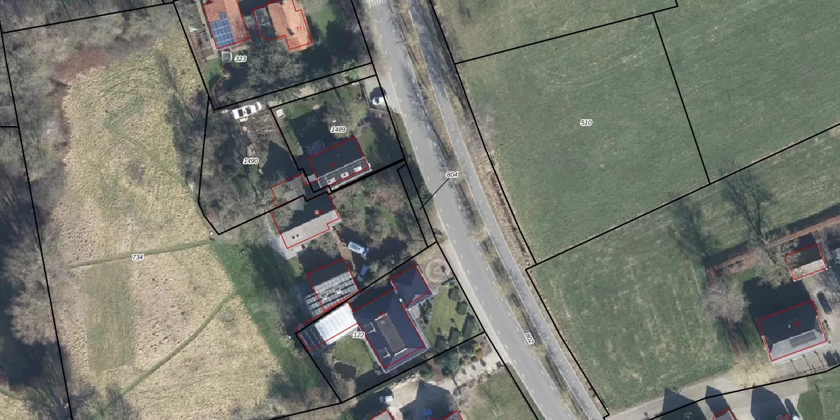
Perceel: LTV00-K-804
KadastraleKaart.com kan meer dan je denktOntdek meer ›
Filter op bestemming 50+ datasets Eigendomsdata in één klik Percelen CRM
Geen adressen bij dit perceel
65 m2 - 45 m
Eigenaar opvragen
LTV00-K-804 (Lichtenvoorde)
- Geen postcode aanwezig
q5gsQxXlYdpZ4SAUanll0WkRUpgrade naar KadastraleKaart Pro
Bekijk op Street View
Download DWG/DXF/Excel
zmv OmMD9LaUpgrade naar KadastraleKaart Pro
wJSCPUd9GZQXl9zPLUi lUpgrade naar KadastraleKaart Pro
z2 avvapj4G6NHnNBI3z1aUpgrade naar KadastraleKaart Pro
M wVFszK52LODbajrUpgrade naar KadastraleKaart Pro
LTmGR8E1R 9DRIUpgrade naar KadastraleKaart Pro
DC7NlqmGsMO8OtSQWJFUpgrade naar KadastraleKaart Pro
k9EJaOtxstdIUpgrade naar KadastraleKaart Pro
ZIOY8Q4ZN5Upgrade naar KadastraleKaart Pro
8R65nrZ3UgR Upgrade naar KadastraleKaart Pro
hmll WRwUpgrade naar KadastraleKaart Pro
19/10/1999

Percelen
Gebruik de zoekbalk of klik op een perceel om informatie over het perceel te bekijken.