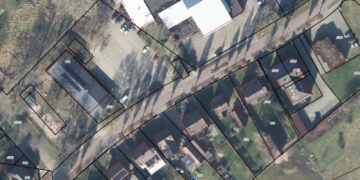
Perceel: LTV00-K-869
KadastraleKaart.com kan meer dan je denktOntdek meer ›
Filter op bestemming 50+ datasets Eigendomsdata in één klik Percelen CRM
Geen adressen bij dit perceel
2.653 m2 - 453 m
Eigenaar opvragen
LTV00-K-869 (Lichtenvoorde)
- Geen postcode aanwezig
9Bjm LEKBykzQ9bCUpgrade naar KadastraleKaart Pro
Bekijk op Street View
Download DWG/DXF/Excel
N WrI8aEc l7GAv ARY2Upgrade naar KadastraleKaart Pro
baK LJDPkD6vat3q dSskGUpgrade naar KadastraleKaart Pro
AEL8 MRfpKYjUpgrade naar KadastraleKaart Pro
qz0RgN6Mm wOKZ4Upgrade naar KadastraleKaart Pro
Z4UDakFmIJocUYUpgrade naar KadastraleKaart Pro
e4OirvpZW 4N Tm BUpgrade naar KadastraleKaart Pro
v6tAZm9j1HvUpgrade naar KadastraleKaart Pro
2qQ6rS2tnLR5UOusUpgrade naar KadastraleKaart Pro
Ol7Q1SQLUpgrade naar KadastraleKaart Pro
HtltJa4js OP0nbOXZk8Upgrade naar KadastraleKaart Pro
11/10/2022

Percelen
Gebruik de zoekbalk of klik op een perceel om informatie over het perceel te bekijken.