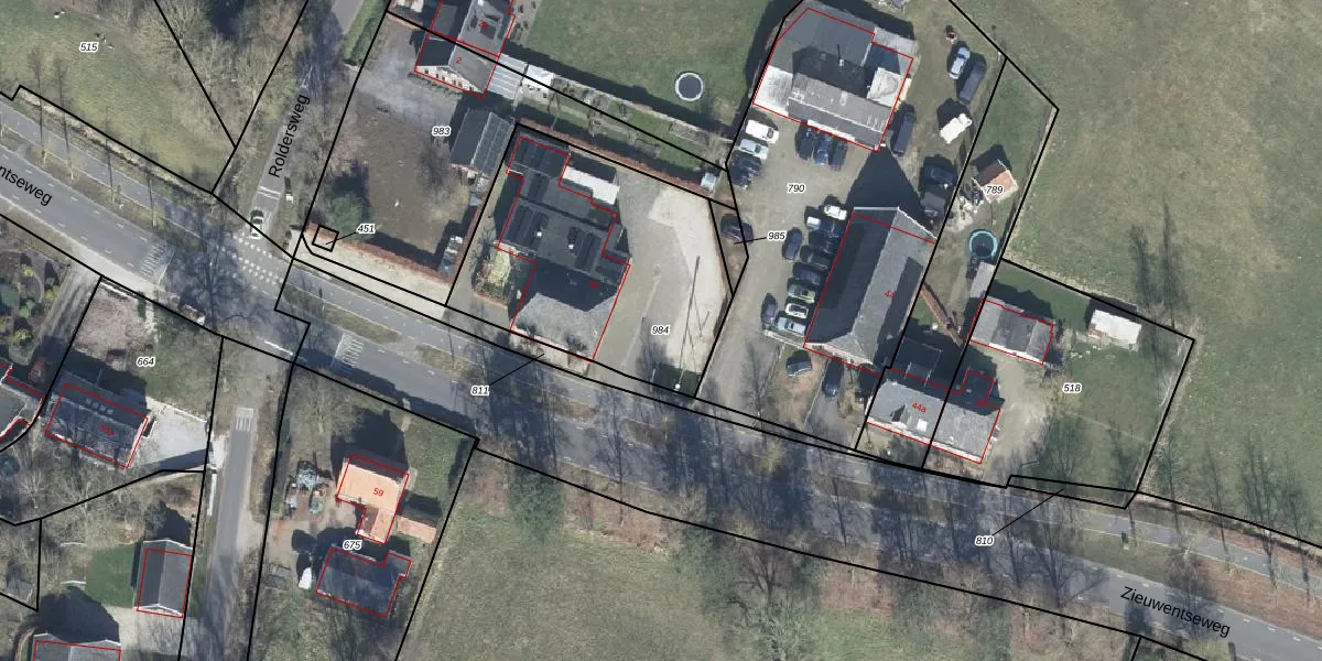
Perceel: LTV00-K-984
KadastraleKaart.com kan meer dan je denktOntdek meer ›
Filter op bestemming 50+ datasets Eigendomsdata in één klik Percelen CRM
1.138 m2 - 133 m
Eigenaar opvragen
LTV00-K-984 (Lichtenvoorde)
- 7136 LC
dTEezX9mGb0Q9mh vKC9qigklhTueUpgrade naar KadastraleKaart Pro
Bekijk op Street View
Download DWG/DXF/Excel
XHop bFlMGhv8RyhG 6Upgrade naar KadastraleKaart Pro
wfGg1KbmUpgrade naar KadastraleKaart Pro
jZxPMU42Ypz hF Upgrade naar KadastraleKaart Pro
s DaxrjVuUpgrade naar KadastraleKaart Pro
Ny pmsSbH yONRPdggUfUpgrade naar KadastraleKaart Pro
2 LZ0wcaP Upgrade naar KadastraleKaart Pro
uOGZxX0du9rUUpgrade naar KadastraleKaart Pro
KVj0JN xAMnUpgrade naar KadastraleKaart Pro
xUjkuu9vA8lMzyTGdQNViUpgrade naar KadastraleKaart Pro
raVZmQfK rXgOUpgrade naar KadastraleKaart Pro
15/01/2007

Percelen
Gebruik de zoekbalk of klik op een perceel om informatie over het perceel te bekijken.