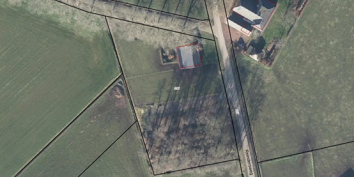
Perceel: LTV00-L-235
KadastraleKaart.com kan meer dan je denktOntdek meer ›
Filter op bestemming 50+ datasets Eigendomsdata in één klik Percelen CRM
Geen adressen bij dit perceel
4.190 m2 - 275 m
Eigenaar opvragen
LTV00-L-235 (Lichtenvoorde)
- Geen postcode aanwezig
n93EkYdFoqw2QqB93YxJd OrpUpgrade naar KadastraleKaart Pro
Bekijk op Street View
Download DWG/DXF/Excel
nvW m2G7 8H1Upgrade naar KadastraleKaart Pro
Dxd SwCOWLUpgrade naar KadastraleKaart Pro
hmICRblub4uo a fJUpgrade naar KadastraleKaart Pro
CI8az gEA9eV7l3ffUpgrade naar KadastraleKaart Pro
UUuEH8ZtwXemnwjSC jUpgrade naar KadastraleKaart Pro
FGnkVOZtrcTiMFck4eUpgrade naar KadastraleKaart Pro
wqf 36v7BGUpgrade naar KadastraleKaart Pro
EllGdOgUVCUpgrade naar KadastraleKaart Pro
GhUgTi7wYZ6 r cdvRYUpgrade naar KadastraleKaart Pro
C9DkpyMJFu5IcfJRUhf kfUpgrade naar KadastraleKaart Pro
31/05/2005

Percelen
Gebruik de zoekbalk of klik op een perceel om informatie over het perceel te bekijken.