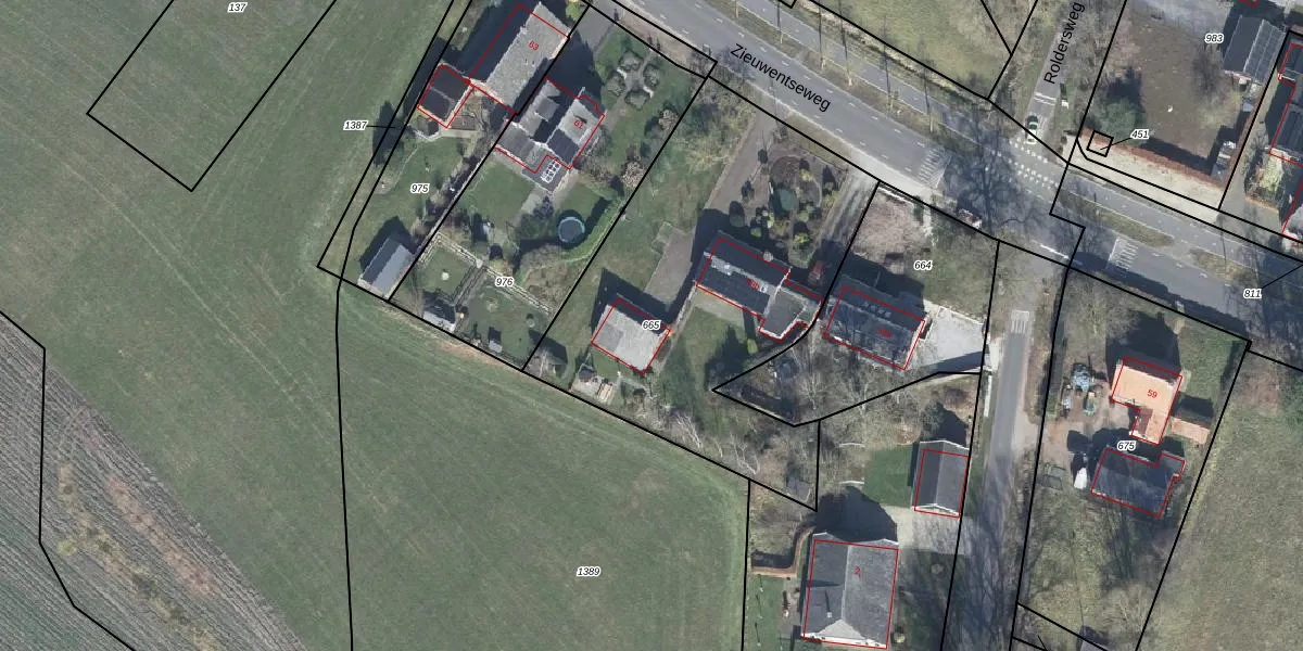
Perceel: LTV00-L-665
KadastraleKaart.com kan meer dan je denktOntdek meer ›
Filter op bestemming 50+ datasets Eigendomsdata in één klik Percelen CRM
1.840 m2 - 209 m
Eigenaar opvragen
LTV00-L-665 (Lichtenvoorde)
- 7136 LA
n3mLsD aKAa1ST UrC9tUpgrade naar KadastraleKaart Pro
Verkoopprijs opvragen
Bekijk op Street View
Download DWG/DXF/Excel
ZDjgxPdYVxwAavUpgrade naar KadastraleKaart Pro
X6smtBsBorKp52IIJRUpgrade naar KadastraleKaart Pro
9sGb bhPuwmPW3Upgrade naar KadastraleKaart Pro
hj7TOQLdBUpgrade naar KadastraleKaart Pro
pMN5P1I95dEX Upgrade naar KadastraleKaart Pro
GY akCMaF8P3XllpUpgrade naar KadastraleKaart Pro
tG wh294uls69LDcHUCwUpgrade naar KadastraleKaart Pro
QP ScSCBk7Kk mM7iUpgrade naar KadastraleKaart Pro
I5rvngqn9 PGKbnNDNW3OUpgrade naar KadastraleKaart Pro
yeKHEgPMlEZUpgrade naar KadastraleKaart Pro
08/05/2015

Percelen
Gebruik de zoekbalk of klik op een perceel om informatie over het perceel te bekijken.