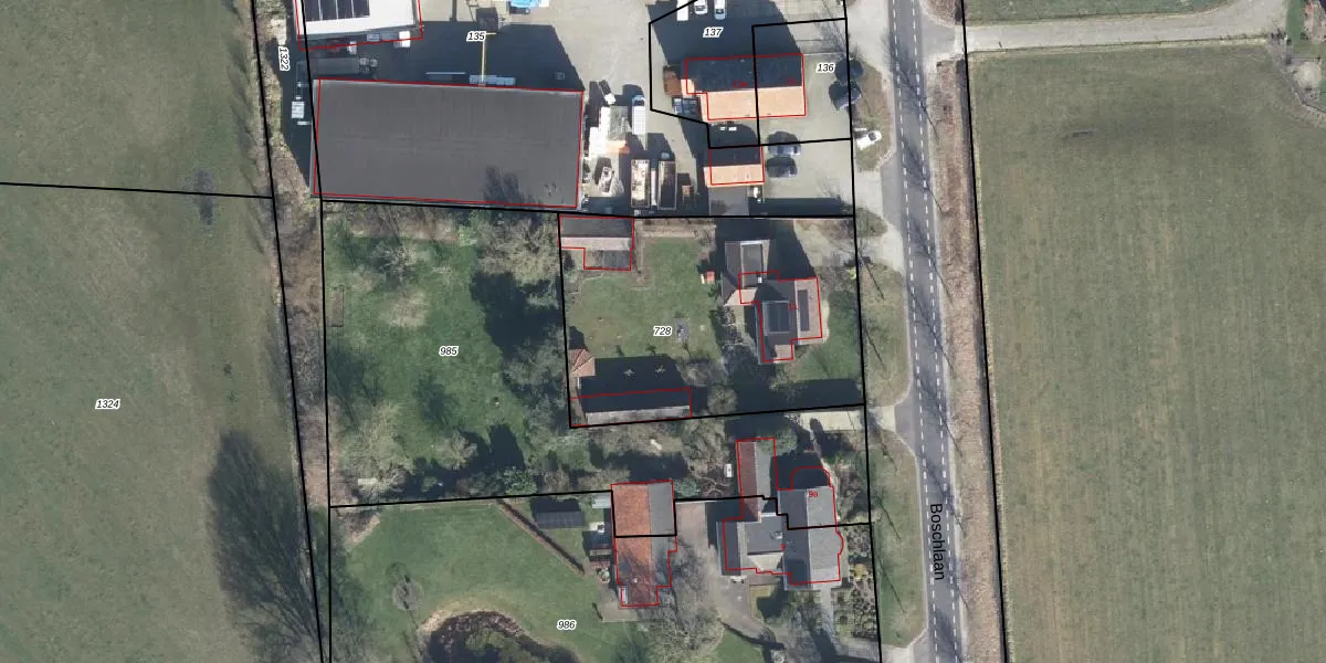
Perceel: LTV00-N-728
KadastraleKaart.com kan meer dan je denktOntdek meer ›
Filter op bestemming 50+ datasets Eigendomsdata in één klik Percelen CRM
1.355 m2 - 150 m
Eigenaar opvragen
LTV00-N-728 (Lichtenvoorde)
- 7131 RA
2e42jJmE nfu1oqKIa7T0Pb9x9euoUpgrade naar KadastraleKaart Pro
Verkoopprijs opvragen
Bekijk op Street View
Download DWG/DXF/Excel
hU4 4C mRYltUpgrade naar KadastraleKaart Pro
12q1N bW67C3A36yUpgrade naar KadastraleKaart Pro
jYtt ZFxLUpgrade naar KadastraleKaart Pro
sMtiWDV0Fd4uVmH6k3Upgrade naar KadastraleKaart Pro
hJT c4 aEeUpgrade naar KadastraleKaart Pro
ZVcFiJhaI Upgrade naar KadastraleKaart Pro
VkmUrfV N78SSi5skx0YXoUpgrade naar KadastraleKaart Pro
5 Z8 HSXQWHYDlUpgrade naar KadastraleKaart Pro
UEzl85PxOI 2Upgrade naar KadastraleKaart Pro
1fC ulxbp76k9kBKz 8 2KdUpgrade naar KadastraleKaart Pro
11/12/2003

Percelen
Gebruik de zoekbalk of klik op een perceel om informatie over het perceel te bekijken.