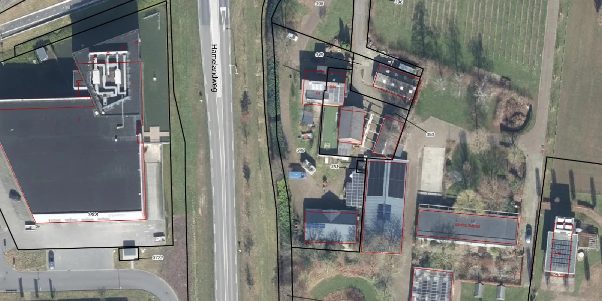
Perceel: LTV00-S-348
KadastraleKaart.com kan meer dan je denktOntdek meer ›
Filter op bestemming 50+ datasets Eigendomsdata in één klik Percelen CRM
1.485 m2 - 223 m
Eigenaar opvragen
LTV00-S-348 (Lichtenvoorde)
- 7134 NA
n1cTyzz8E3XA6g xqkYcFIWxJOf9VUpgrade naar KadastraleKaart Pro
Verkoopprijs opvragen
Bekijk op Street View
Download DWG/DXF/Excel
LPZx 72jN ZomuvaU dVYwUpgrade naar KadastraleKaart Pro
xtOL 31WQb0tSgWUpgrade naar KadastraleKaart Pro
zLOIAfURa UD3nT2ETEZ5TUpgrade naar KadastraleKaart Pro
zhikay0RP Uw3v7kZ9i8sUpgrade naar KadastraleKaart Pro
b05q NB z7WUp3UECUpgrade naar KadastraleKaart Pro
sTd0ydTa Upgrade naar KadastraleKaart Pro
Yo2Fv2qOUpgrade naar KadastraleKaart Pro
zJQGFXcUpgrade naar KadastraleKaart Pro
INMG5ecLhUpgrade naar KadastraleKaart Pro
NNASgS5wUpgrade naar KadastraleKaart Pro
11/12/2003

Percelen
Gebruik de zoekbalk of klik op een perceel om informatie over het perceel te bekijken.