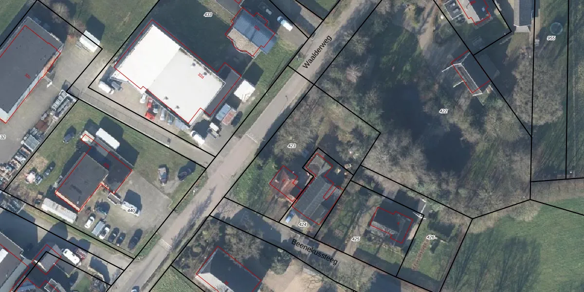
Perceel: LTV00-V-423
KadastraleKaart.com kan meer dan je denktOntdek meer ›
Filter op bestemming 50+ datasets Eigendomsdata in één klik Percelen CRM
1.050 m2 - 164 m
Eigenaar opvragen
LTV00-V-423 (Lichtenvoorde)
- 7263 SB
h OQheywywSiu8 Srel2drUpgrade naar KadastraleKaart Pro
Bekijk op Street View
Download DWG/DXF/Excel
1OOWx9pSKsanieCWAUpgrade naar KadastraleKaart Pro
3O3 FZZc L ddNNyvmV pUpgrade naar KadastraleKaart Pro
02Rf6n5u nihTAPan0Upgrade naar KadastraleKaart Pro
CXd2nJ9vSjWnI2Upgrade naar KadastraleKaart Pro
b3BAZ5uOUpgrade naar KadastraleKaart Pro
58HFzS2a0Upgrade naar KadastraleKaart Pro
XddsER2TL ufVvUpgrade naar KadastraleKaart Pro
lNZHp2kmpcdsRmZqjk0r sUpgrade naar KadastraleKaart Pro
D1nKS50 Upgrade naar KadastraleKaart Pro
xsYy8YzUYX4cSPCamUpgrade naar KadastraleKaart Pro
01/06/2005

Percelen
Gebruik de zoekbalk of klik op een perceel om informatie over het perceel te bekijken.