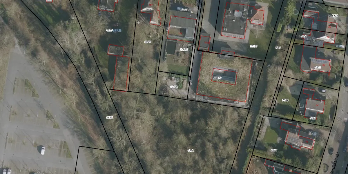
Perceel: LWD00-D-10459
Geen adressen bij dit perceel
260 m2 - 65 m
Eigenaar opvragen
LWD00-D-10459 (Leeuwarden)
- Geen postcode aanwezig
3o1NegU4aHFMiIqCUpgrade naar KadastraleKaart Pro
Bekijk op Street View
Download DWG/DXF/Excel
TgKXX4daTFsG1Y tq5xyxqUpgrade naar KadastraleKaart Pro
2JJv6veaUpgrade naar KadastraleKaart Pro
4NNZo VBGNYeg6 dAeguUpgrade naar KadastraleKaart Pro
rT4eNEd2YZI4joZR8txELRUpgrade naar KadastraleKaart Pro
wm17x4T3cJG3GClU7kEaUpgrade naar KadastraleKaart Pro
CJOK0eRW MxkxbUpgrade naar KadastraleKaart Pro
nH2 LyX rr7dAldVf14L3Upgrade naar KadastraleKaart Pro
AMGnxzmN3Upgrade naar KadastraleKaart Pro
wXUDZiiPQwd xiq olUpgrade naar KadastraleKaart Pro
Ded0z5xSUpgrade naar KadastraleKaart Pro
07/03/2022

Percelen
Gebruik de zoekbalk of klik op een perceel om informatie over het perceel te bekijken.