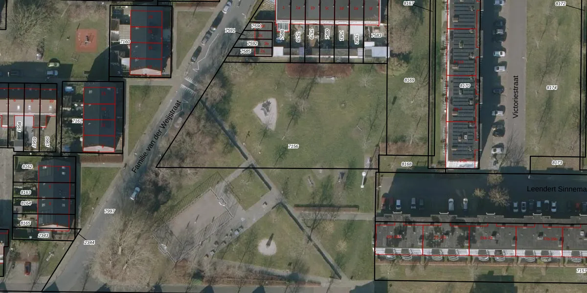
Perceel: LWD00-F-7156
KadastraleKaart.com kan meer dan je denktOntdek meer ›
Filter op bestemming 50+ datasets Eigendomsdata in één klik Percelen CRM
Geen adressen bij dit perceel
2.415 m2 - 213 m
Eigenaar opvragen
LWD00-F-7156 (Leeuwarden)
- Geen postcode aanwezig
kXsUtgb y mWtXFm hBYIS6HUpgrade naar KadastraleKaart Pro
Bekijk op Street View
Download DWG/DXF/Excel
yeZaEhfJ K3OUk veWJugfUpgrade naar KadastraleKaart Pro
Am6 qQ91TJUaTUDUpgrade naar KadastraleKaart Pro
PMD 2U D5tIfOUpgrade naar KadastraleKaart Pro
8StR8GsFan4oSVJRoSH2Upgrade naar KadastraleKaart Pro
MXwQjaEB lW5A6MQk6YgxCUpgrade naar KadastraleKaart Pro
kv D wvPnG4 KlIUpgrade naar KadastraleKaart Pro
Fn 55NJ3Upgrade naar KadastraleKaart Pro
VJ71Ctc0pzUpgrade naar KadastraleKaart Pro
XDwhqO lvKiM zdKfDUpgrade naar KadastraleKaart Pro
Utn9w aVbpcNyWU Upgrade naar KadastraleKaart Pro
29/02/2012

Percelen
Gebruik de zoekbalk of klik op een perceel om informatie over het perceel te bekijken.