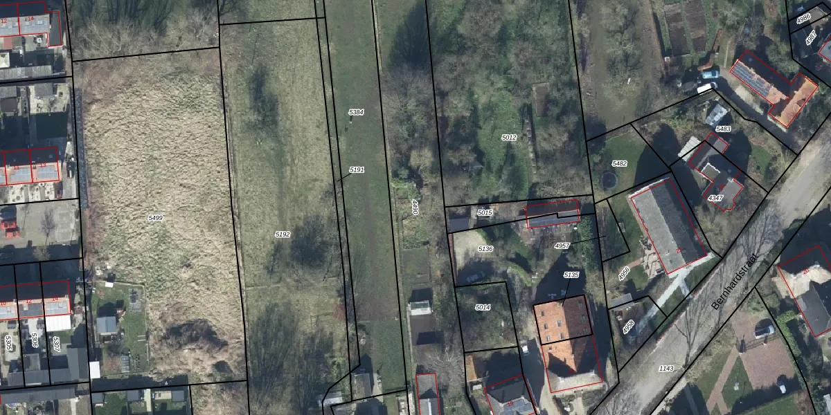
Perceel: LWN00-B-4490
KadastraleKaart.com kan meer dan je denktOntdek meer ›
Filter op bestemming 50+ datasets Eigendomsdata in één klik Percelen CRM
2.200 m2 - 349 m
Eigenaar opvragen
LWN00-B-4490 (Leeuwen)
- 6657 AD
xCR2I IRKZAlxf0dauTNp Upgrade naar KadastraleKaart Pro
Bekijk op Street View
Download DWG/DXF/Excel
zLDQ5mdx 9Upgrade naar KadastraleKaart Pro
9Z6Th5fa b tGTnEXF On9eUpgrade naar KadastraleKaart Pro
Ui1JFWH0DmYGsUa8d2E8Upgrade naar KadastraleKaart Pro
Mb0iRY2HW6 aDeUpgrade naar KadastraleKaart Pro
0m5Fyd0PZvveAsaUpgrade naar KadastraleKaart Pro
E azjK2A 2ziP9YH2Upgrade naar KadastraleKaart Pro
uhAJigCD l TIkUpgrade naar KadastraleKaart Pro
4aX4VkkQvIVsUpgrade naar KadastraleKaart Pro
qVtFx4 f6d h l4HcXUpgrade naar KadastraleKaart Pro
uGOBhoztR81T3EUpgrade naar KadastraleKaart Pro
21/02/2017

Percelen
Gebruik de zoekbalk of klik op een perceel om informatie over het perceel te bekijken.