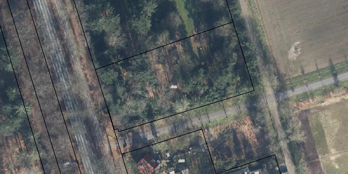
Perceel: MAA00-C-1772
KadastraleKaart.com kan meer dan je denktOntdek meer ›
Filter op bestemming 50+ datasets Eigendomsdata in één klik Percelen CRM
Geen adressen bij dit perceel
3.310 m2 - 247 m
Eigenaar opvragen
MAA00-C-1772 (Maarn)
- Geen postcode aanwezig
CTL5KPKcGXS6 xYJbR 3 X MQscDZEUpgrade naar KadastraleKaart Pro
Bekijk op Street View
Download DWG/DXF/Excel
94P3IK36Upgrade naar KadastraleKaart Pro
VhXhfT5fvyeyM3h8o7Upgrade naar KadastraleKaart Pro
IsIof7cVLtUpgrade naar KadastraleKaart Pro
W0QKq 8 BEVJlT 2 bnhUpgrade naar KadastraleKaart Pro
KI5yW LxW2nhUpgrade naar KadastraleKaart Pro
i2But F7 8K p Bh9Upgrade naar KadastraleKaart Pro
FeTCy35294awn pIJzJWxvUpgrade naar KadastraleKaart Pro
l ZZhb7jZEARPmxOCn68k4Upgrade naar KadastraleKaart Pro
7jF 1f4ktdVXxa O8K3pKIUpgrade naar KadastraleKaart Pro
VggIKMkjHUpgrade naar KadastraleKaart Pro
20/02/2015

Percelen
Gebruik de zoekbalk of klik op een perceel om informatie over het perceel te bekijken.