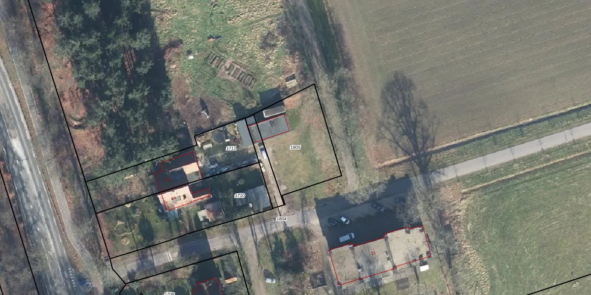
Perceel: MAA00-C-1805
KadastraleKaart.com kan meer dan je denktOntdek meer ›
Filter op bestemming 50+ datasets Eigendomsdata in één klik Percelen CRM
Geen adressen bij dit perceel
609 m2 - 113 m
Eigenaar opvragen
MAA00-C-1805 (Maarn)
- Geen postcode aanwezig
aqJwZKCO EuCm5 JRPLqF Upgrade naar KadastraleKaart Pro
Bekijk op Street View
Download DWG/DXF/Excel
0i Pc7PcBIUpgrade naar KadastraleKaart Pro
ZNpM9O8br37eq8GR c7sqJ6Upgrade naar KadastraleKaart Pro
Afu04kA7EuoKwQXUpgrade naar KadastraleKaart Pro
RXB4Aik3ldrXr6rID HrC Upgrade naar KadastraleKaart Pro
ojxvBXbOV9 CwDeUpgrade naar KadastraleKaart Pro
WCLu5utfGr N0cbvUpgrade naar KadastraleKaart Pro
FXuy5yRdNA Upgrade naar KadastraleKaart Pro
Ss KZ3ZaqJGJ30OAyUpgrade naar KadastraleKaart Pro
k8M3g6s N8 8wH KUpgrade naar KadastraleKaart Pro
GuS NJfVqdFb Upgrade naar KadastraleKaart Pro
25/01/2022

Percelen
Gebruik de zoekbalk of klik op een perceel om informatie over het perceel te bekijken.