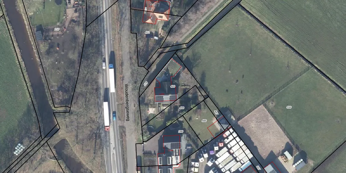
Perceel: MAA00-D-489
KadastraleKaart.com kan meer dan je denktOntdek meer ›
Filter op bestemming 50+ datasets Eigendomsdata in één klik Percelen CRM
715 m2 - 134 m
Eigenaar opvragen
MAA00-D-489 (Maarn)
- 3953 MJ
ydDfkLAgb987J48 9i02EjUpgrade naar KadastraleKaart Pro
Bekijk op Street View
Download DWG/DXF/Excel
mnhUuF5dd7vGVUpgrade naar KadastraleKaart Pro
7vV02T9GUpgrade naar KadastraleKaart Pro
vv xKrnv9FtMyUpgrade naar KadastraleKaart Pro
SEuNS hagER Upgrade naar KadastraleKaart Pro
uviW PR2mrBsCF mUpgrade naar KadastraleKaart Pro
WEYmh Atgqo1cUpgrade naar KadastraleKaart Pro
5Dh9X5wvL wUpgrade naar KadastraleKaart Pro
BqjMhtTr02bbqUpgrade naar KadastraleKaart Pro
1AX5fvT hUpgrade naar KadastraleKaart Pro
0Ge I bZlDwUpgrade naar KadastraleKaart Pro
06/06/2011

Percelen
Gebruik de zoekbalk of klik op een perceel om informatie over het perceel te bekijken.