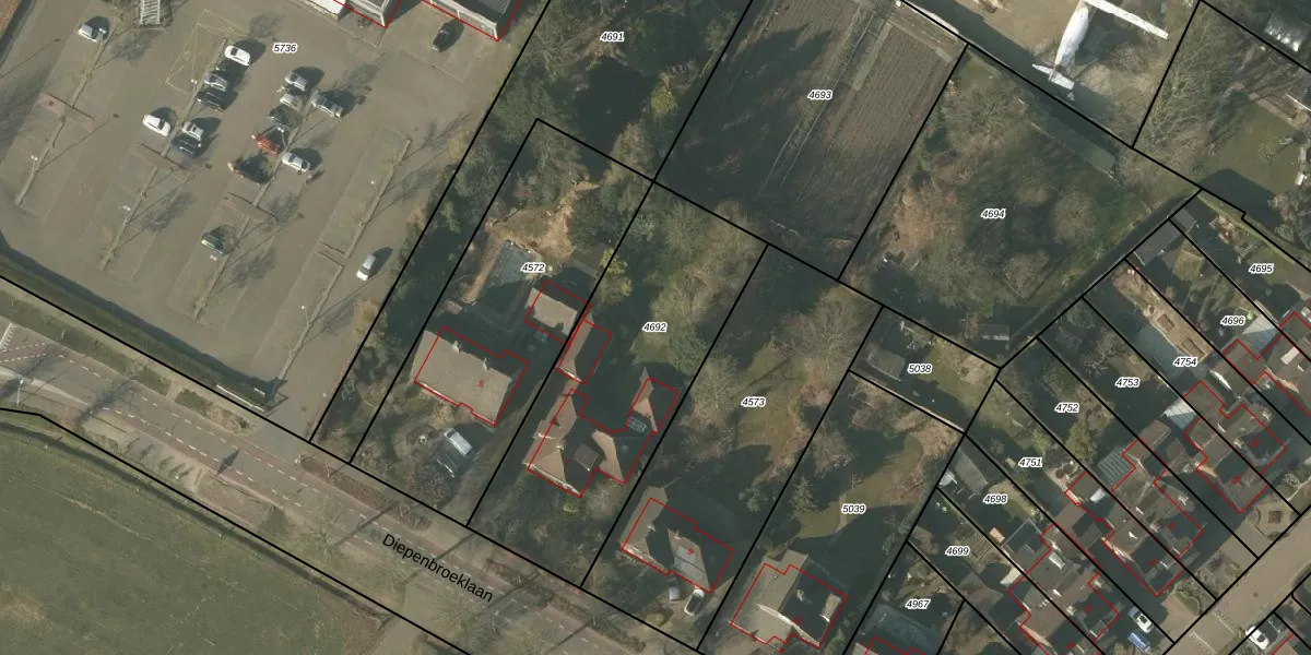
Perceel: MBE00-C-4692
KadastraleKaart.com kan meer dan je denktOntdek meer ›
Filter op bestemming 50+ datasets Eigendomsdata in één klik Percelen CRM
1.200 m2 - 160 m
Eigenaar opvragen
MBE00-C-4692 (Maasbree)
- 5991 PT
C4koCvDHR e p Vtd B3ORFDzJbUpgrade naar KadastraleKaart Pro
Bekijk op Street View
Download DWG/DXF/Excel
Il e2KtN2j6zeu7mxUpgrade naar KadastraleKaart Pro
vxYovW ifMvvbxQUpgrade naar KadastraleKaart Pro
neii6A6KJyp0Upgrade naar KadastraleKaart Pro
F5PJ77h6JCMVsUpgrade naar KadastraleKaart Pro
kf qIh o Upgrade naar KadastraleKaart Pro
My41 q j9Upgrade naar KadastraleKaart Pro
EYjoYsqIw hxdJSxrtCl6Upgrade naar KadastraleKaart Pro
agrddQ5LM Gz6jhr8J6LGwUpgrade naar KadastraleKaart Pro
yyPzcRaHYKIza geUpgrade naar KadastraleKaart Pro
iWV5Lysy6 B FVWvTpMhbY9Upgrade naar KadastraleKaart Pro
27/05/2010

Percelen
Gebruik de zoekbalk of klik op een perceel om informatie over het perceel te bekijken.