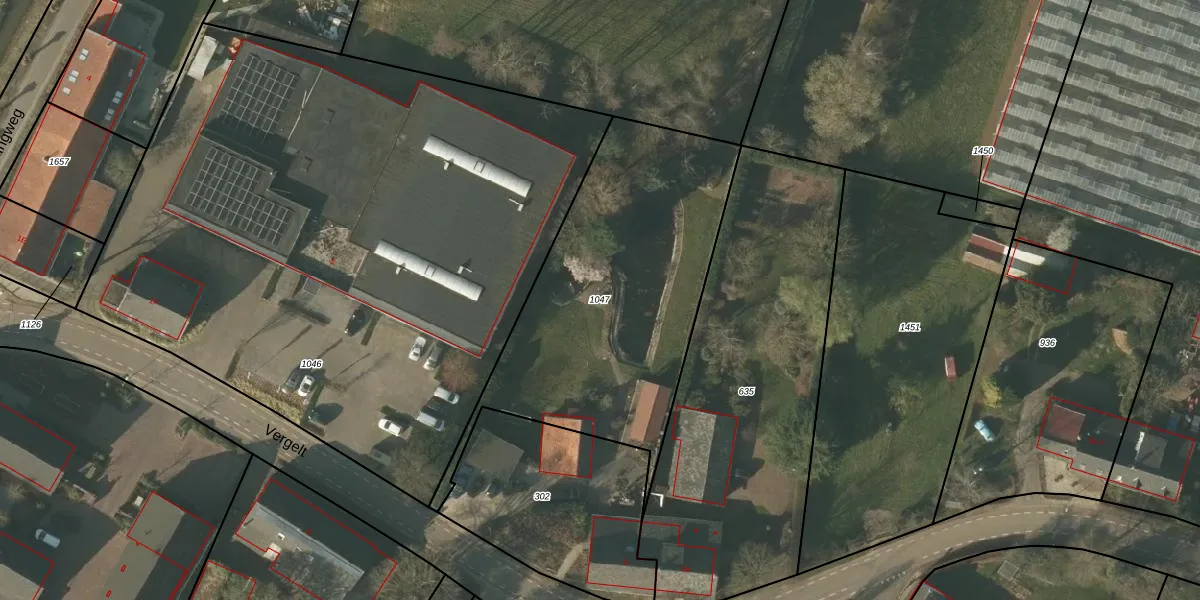
Perceel: MBE00-I-1047
Geen adressen bij dit perceel
1.430 m2 - 222 m
Eigenaar opvragen
MBE00-I-1047 (Maasbree)
- Geen postcode aanwezig
dv99jrM0 Fx00ma8 iUpgrade naar KadastraleKaart Pro
Bekijk op Street View
Download DWG/DXF/Excel
6Fc B9SQLEHFUpgrade naar KadastraleKaart Pro
eQVT4r6TLxc91I2qTwzUpgrade naar KadastraleKaart Pro
2TEr Q21A9OWiUpgrade naar KadastraleKaart Pro
sdDGUJmXd1M47tW eupUpgrade naar KadastraleKaart Pro
iHm4ePDbiSM9F uk9Upgrade naar KadastraleKaart Pro
4EPK41Y2fStanq Upgrade naar KadastraleKaart Pro
bUFGQjbrC2 i Upgrade naar KadastraleKaart Pro
JBQg uMmi 2JrXpCG2Upgrade naar KadastraleKaart Pro
s o694f6Zc bUpgrade naar KadastraleKaart Pro
jEWe xBCCnZUpgrade naar KadastraleKaart Pro
05/03/2008

Percelen
Gebruik de zoekbalk of klik op een perceel om informatie over het perceel te bekijken.