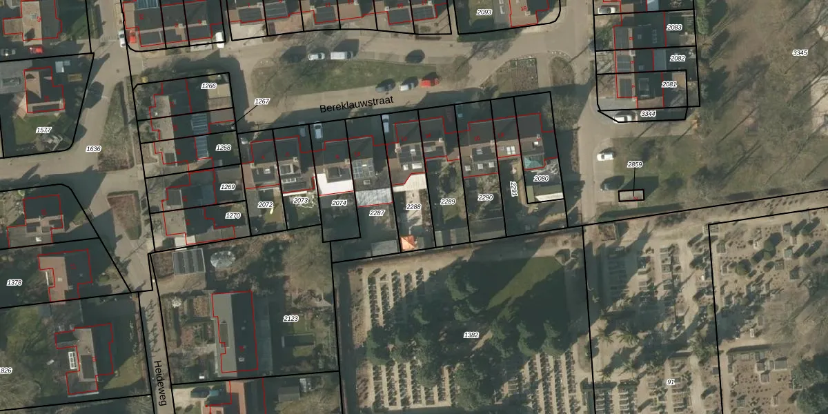
Perceel: MBE00-K-2288
299 m2 - 85 m
Eigenaar opvragen
MBE00-K-2288 (Maasbree)
- 5993 GE
lQ3ZhBm9sVyxm1iXXv8JG4VvK oa Upgrade naar KadastraleKaart Pro
Verkoopprijs opvragen
Bekijk op Street View
Download DWG/DXF/Excel
PkC0VHPq3I0Upgrade naar KadastraleKaart Pro
sWDEs60EH3MUpgrade naar KadastraleKaart Pro
n6vPXteXOFrb Upgrade naar KadastraleKaart Pro
ave KGeSJYSRrxF QADCZ zUpgrade naar KadastraleKaart Pro
4d8pOhgVXcUl Kh7yMhUpgrade naar KadastraleKaart Pro
GLy6o j3Upgrade naar KadastraleKaart Pro
bTvLCN5W9VcEccNuSn7dVmQUpgrade naar KadastraleKaart Pro
4VprUR48huJkiJEk0t6HC6LUpgrade naar KadastraleKaart Pro
MtK5W zq0hrykOWn3kybUpgrade naar KadastraleKaart Pro
nQFR 2mI6UIUpgrade naar KadastraleKaart Pro
14/03/2008

Percelen
Gebruik de zoekbalk of klik op een perceel om informatie over het perceel te bekijken.