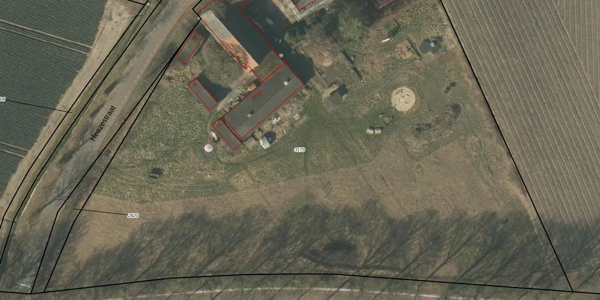
Perceel: MBE00-K-3179
13.835 m2 - 524 m
Eigenaar opvragen
MBE00-K-3179 (Maasbree)
- 5993 NM
1cGWBVXNsE2Nl8gybnKbqBCOqSUpgrade naar KadastraleKaart Pro
Bekijk op Street View
Download DWG/DXF/Excel
iv7XZ59vyUpgrade naar KadastraleKaart Pro
w54mE0NZqT5zfsUpgrade naar KadastraleKaart Pro
nCRFenEvqQeRfiI n 77tUpgrade naar KadastraleKaart Pro
Gy bAVGGUpgrade naar KadastraleKaart Pro
lE0ichuSodUpgrade naar KadastraleKaart Pro
Gt I4HGOIPn 7AYvmRFVJUpgrade naar KadastraleKaart Pro
BWAnEqXdHDUpgrade naar KadastraleKaart Pro
LNT7ME3bLl6FMUpgrade naar KadastraleKaart Pro
8u6VyTtxOTdSF2Upgrade naar KadastraleKaart Pro
xXIo53oCiro2Ws9JxMMokJZUpgrade naar KadastraleKaart Pro
04/10/2018

Percelen
Gebruik de zoekbalk of klik op een perceel om informatie over het perceel te bekijken.