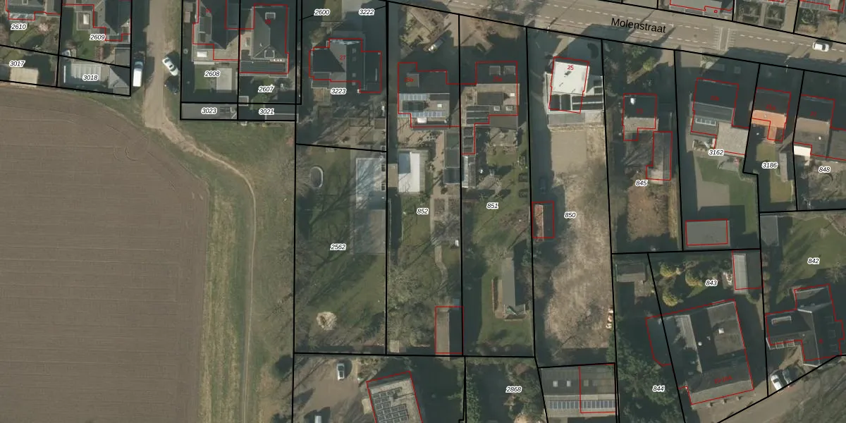
Perceel: MBE00-K-852
1.440 m2 - 200 m
Eigenaar opvragen
MBE00-K-852 (Maasbree)
- 5993 CJ
L cwo RROe3sTZ SsWGDnCP0gUpgrade naar KadastraleKaart Pro
Bekijk op Street View
Download DWG/DXF/Excel
6TVa1pUZ0 pZYwUpgrade naar KadastraleKaart Pro
Xxfl4 moUpgrade naar KadastraleKaart Pro
yEq mySm OadFqrpUpgrade naar KadastraleKaart Pro
OvKp DZR R5m9y1Upgrade naar KadastraleKaart Pro
J xKXc4iLpx8D6PqyHZiRaUpgrade naar KadastraleKaart Pro
GN0bs7syU5P Upgrade naar KadastraleKaart Pro
SbBiclcG6jkCXSckFsiUpgrade naar KadastraleKaart Pro
c sPVj tUqkHgKGaD3IUpgrade naar KadastraleKaart Pro
zmaIBoxJ iv8h q EjUpgrade naar KadastraleKaart Pro
hjXQ8 7 HUpgrade naar KadastraleKaart Pro
06/08/2019

Percelen
Gebruik de zoekbalk of klik op een perceel om informatie over het perceel te bekijken.