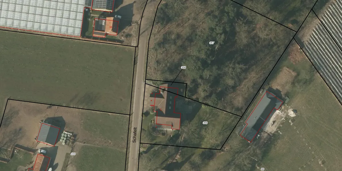
Perceel: MBE00-L-358

Adres bij perceel

Geen adressen bij dit perceel

Perceeloppervlakte & perceelomtrek

125 m2 - 59 m

Eigenaar van het perceel

Eigenaar opvragen

Kadastrale aanduiding

MBE00-L-358 (Maasbree)

Postcode in perceel

    Geen postcode aanwezig

Type eigenaar

RaGpCaNrkh0PakZmqkWgWQF21lH5EUpgrade naar KadastraleKaart Pro

Google Street View

Bekijk op Street View

Download

Download DWG/DXF/Excel

Gerelateerde percelen

nOW3vAgYWry2Upgrade naar KadastraleKaart Pro

Bebouwd/onbebouwd/water/groen

4WWYpouZvGUpgrade naar KadastraleKaart Pro
Administratieve eenheden
58Qlgw9sTdkFeFCz4sFcUpgrade naar KadastraleKaart Pro

Appartementsrechten

Lk2d0MlZA plaut8CH NmUpgrade naar KadastraleKaart Pro

Vergunningverlenende instanties

KkW54s VvywCdHwkUpgrade naar KadastraleKaart Pro

Bedekking (BGT)

r3 Tdo9SFVAxbEOUpgrade naar KadastraleKaart Pro

Publiekrechtelijke beperkingen

6lmosHdzo6hJ9kees9MRQUUpgrade naar KadastraleKaart Pro

Grensnauwkeurigheid

eSehnI4x5Gvl8Upgrade naar KadastraleKaart Pro

Coördinaten hoekpunten perceel

VA3uCt 7 mGkUpgrade naar KadastraleKaart Pro

Hoogteligging

YDNBUHWzvSdZJG89on27gKcUpgrade naar KadastraleKaart Pro

Laatst gewijzigd

04/03/2008

Kadastrale kaart met maatvoering 59,95
Kadastrale kaart pakket 28,95

Percelen

Gebruik de zoekbalk of klik op een perceel om informatie over het perceel te bekijken.
Locatie
Meten
Lagen
Download