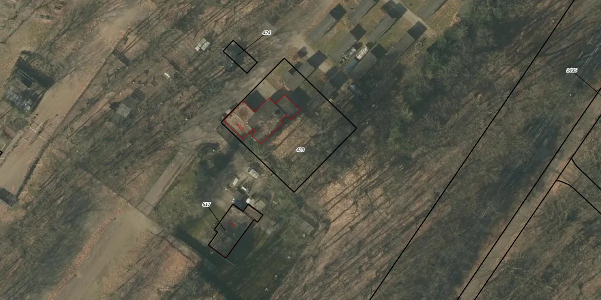
Perceel: MBE00-L-423

Adres bij perceel

Perceeloppervlakte & perceelomtrek

1.005 m2 - 127 m

Eigenaar van het perceel

Eigenaar opvragen

Kadastrale aanduiding

MBE00-L-423 (Maasbree)

Postcode in perceel

    5991 NV

Type eigenaar

r9lvPX9t4V0cY07e8jfi8I6NUpgrade naar KadastraleKaart Pro

Google Street View

Bekijk op Street View

Download

Download DWG/DXF/Excel

Gerelateerde percelen

abDWW3sFVmciFRwypViEQ7JUpgrade naar KadastraleKaart Pro

Bebouwd/onbebouwd/water/groen

xG 9mpgKK BkkxBEiZBUpgrade naar KadastraleKaart Pro
Administratieve eenheden
BVZrv55T6YiUpgrade naar KadastraleKaart Pro

Appartementsrechten

P4tThhjq0WVv0Upgrade naar KadastraleKaart Pro

Vergunningverlenende instanties

tg lGcHf2Iw 01Mtl65iS Upgrade naar KadastraleKaart Pro

Bedekking (BGT)

mJCN0G CziP1R ApJIUpgrade naar KadastraleKaart Pro

Publiekrechtelijke beperkingen

Zzmxa8yiz JvUpgrade naar KadastraleKaart Pro

Grensnauwkeurigheid

mNxNOi cCz4OOUpgrade naar KadastraleKaart Pro

Coördinaten hoekpunten perceel

wBEc6o3cSbUosUpgrade naar KadastraleKaart Pro

Hoogteligging

sUencLC2 H9Gl7LUpgrade naar KadastraleKaart Pro

Laatst gewijzigd

04/03/2008

Kadastrale kaart met maatvoering 59,95
Kadastrale kaart pakket 28,95

Percelen

Gebruik de zoekbalk of klik op een perceel om informatie over het perceel te bekijken.
Locatie
Meten
Lagen
Download