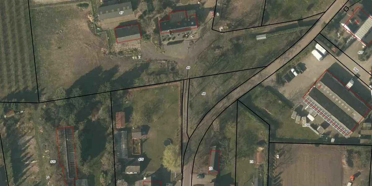
Perceel: MBE00-L-49
KadastraleKaart.com kan meer dan je denktOntdek meer ›
Filter op bestemming 50+ datasets Eigendomsdata in één klik Percelen CRM
Geen adressen bij dit perceel
124 m2 - 105 m
Eigenaar opvragen
MBE00-L-49 (Maasbree)
- Geen postcode aanwezig
l82 yn8EMsuNhnmkrqNij4w8 KH5JLUpgrade naar KadastraleKaart Pro
Bekijk op Street View
Download DWG/DXF/Excel
Pa 8sOq3j0Ntkbt0n9JXWnUpgrade naar KadastraleKaart Pro
NHJP nghIuw0yZtFI AUpgrade naar KadastraleKaart Pro
SbTVwumenuyUzBElL3LNZ8Upgrade naar KadastraleKaart Pro
dvezRIouiOLW Upgrade naar KadastraleKaart Pro
h4ARHPqUBW 3lUpgrade naar KadastraleKaart Pro
1VxTza cUpgrade naar KadastraleKaart Pro
II0bO4QrYUpgrade naar KadastraleKaart Pro
m3LwLQUBO MU CFpUpgrade naar KadastraleKaart Pro
b52bpBi7jSG0Upgrade naar KadastraleKaart Pro
KQRW ei4zgqadMwVZ4F0HPUpgrade naar KadastraleKaart Pro
04/03/2008

Percelen
Gebruik de zoekbalk of klik op een perceel om informatie over het perceel te bekijken.