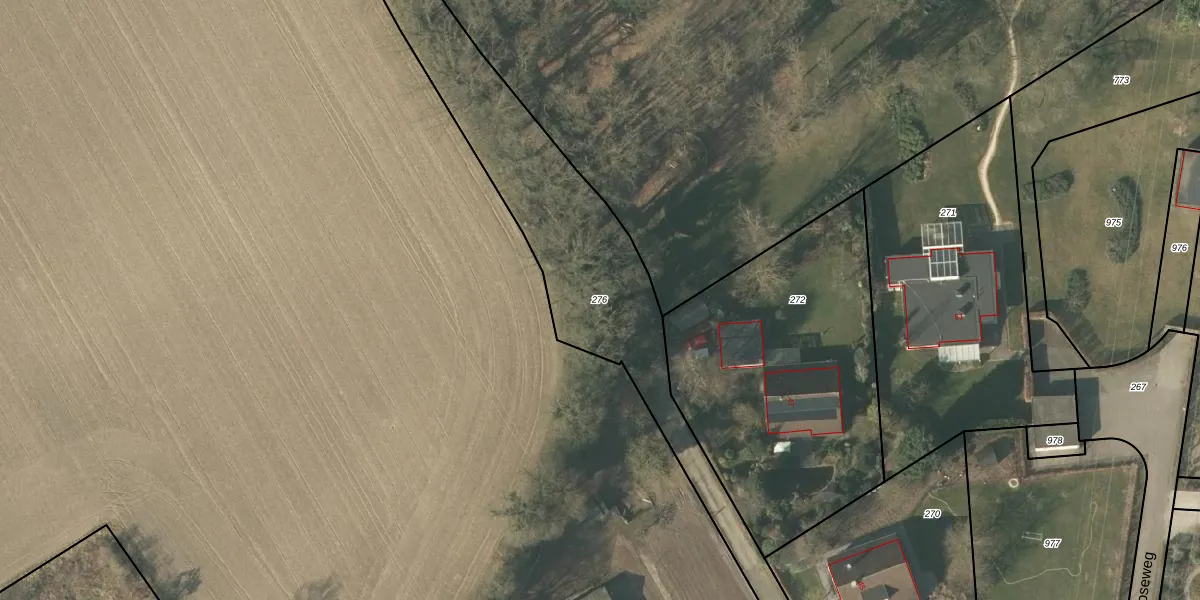
Perceel
Oppervlakte
2.298 m²
Aantal adressen
Geen adressen
Aanduiding
MBE00-R-276 - Maasbree
Verkocht in
Onbekend
Eigendom
Eigenaar
Eigenaar opvragen
Type eigenaar
Rms1U fM3P0KPy N P97rq51oNUpgrade naar KadastraleKaart Pro
Appartementsrechten
Identificatie
0A18 A0B2 8Bx5Upgrade naar KadastraleKaart Pro
Gerelateerde percelen
Aanduiding
oYRT oZo9 qjxmGSPwtydUQUpgrade naar KadastraleKaart Pro
Ligging
Meer functies

Percelen
Gebruik de zoekbalk of klik op een perceel om informatie over het perceel te bekijken.