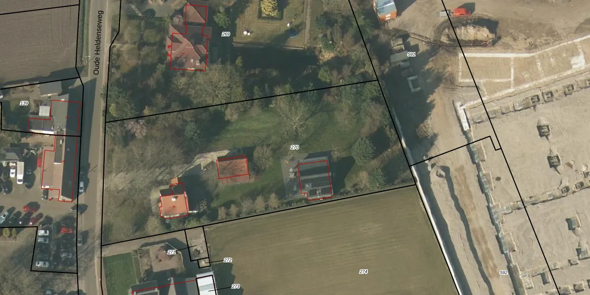
Perceel: MBE00-T-270
KadastraleKaart.com kan meer dan je denktOntdek meer ›
Filter op bestemming 50+ datasets Eigendomsdata in één klik Percelen CRM
3.945 m2 - 282 m
Eigenaar opvragen
MBE00-T-270 (Maasbree)
- 5993 RA
LaO05xDnpGJR41JAUpgrade naar KadastraleKaart Pro
Verkoopprijs opvragen
Bekijk op Street View
Download DWG/DXF/Excel
i XQ GDSCpxc5hl76YZO4MUpgrade naar KadastraleKaart Pro
N92tsBrQkKsX4s3HUpgrade naar KadastraleKaart Pro
jmbzOWEOvsrH13f5dpUpgrade naar KadastraleKaart Pro
7 0pvTyk7jRaUpgrade naar KadastraleKaart Pro
7KpImn wrNmOxMUpgrade naar KadastraleKaart Pro
HT3zySNal6Upgrade naar KadastraleKaart Pro
mLwIL z7WTzmh Zv l Upgrade naar KadastraleKaart Pro
70m 3lgRlp0 r v D4g6vMUpgrade naar KadastraleKaart Pro
AaQ87XyK0v4Zk DAUpgrade naar KadastraleKaart Pro
H5 hm2bMOUpgrade naar KadastraleKaart Pro
17/03/2008

Percelen
Gebruik de zoekbalk of klik op een perceel om informatie over het perceel te bekijken.