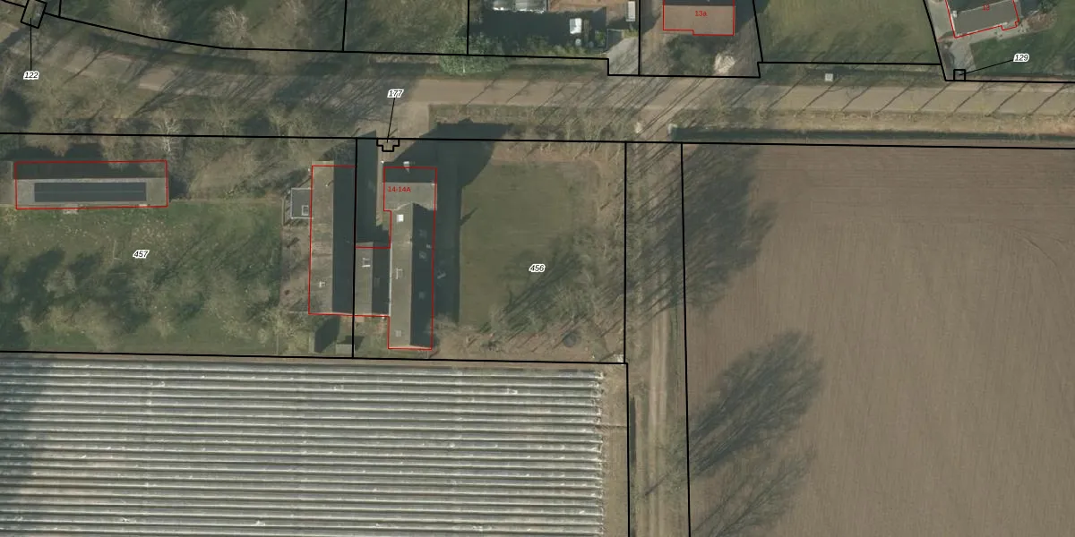
Perceel: MBE00-U-456

2 adressen bij perceel

Oude Heldenseweg 14 t/m 14 A

Perceeloppervlakte & perceelomtrek

2.063 m2 - 188 m

Eigenaar van het perceel

Eigenaar opvragen

Kadastrale aanduiding

MBE00-U-456 (Maasbree)

Postcode in perceel

    5993 RA

Type eigenaar

YOp2IK9bXk6dQ L0 9cBV Upgrade naar KadastraleKaart Pro

Woning verkocht in 2024

Verkoopprijs opvragen

Google Street View

Bekijk op Street View

Download

Download DWG/DXF/Excel

Gerelateerde percelen

HboiQx IpgVQoINUpgrade naar KadastraleKaart Pro

Bebouwd/onbebouwd/water/groen

SxuUS WGWFkEiNIUpgrade naar KadastraleKaart Pro
Administratieve eenheden
qZt H m6Uhm jMUpgrade naar KadastraleKaart Pro

Appartementsrechten

TJh9qFiCecH7rQcOO6jW0Upgrade naar KadastraleKaart Pro

Vergunningverlenende instanties

Rb7IXHLUpgrade naar KadastraleKaart Pro

Bedekking (BGT)

RDeXDP fuKHLN2hvUpgrade naar KadastraleKaart Pro

Publiekrechtelijke beperkingen

Juk2nXVB 0DZUpgrade naar KadastraleKaart Pro

Grensnauwkeurigheid

Y xlGipH7rB WUEUpgrade naar KadastraleKaart Pro

Coördinaten hoekpunten perceel

Fsu39mN8ARWUpgrade naar KadastraleKaart Pro

Hoogteligging

vdfM66F16XsSj6Upgrade naar KadastraleKaart Pro

Laatst gewijzigd

21/12/2023

Kadastrale kaart met maatvoering 59,95
Kadastrale kaart pakket 28,95

Percelen

Gebruik de zoekbalk of klik op een perceel om informatie over het perceel te bekijken.
Locatie
Meten
Lagen
Download