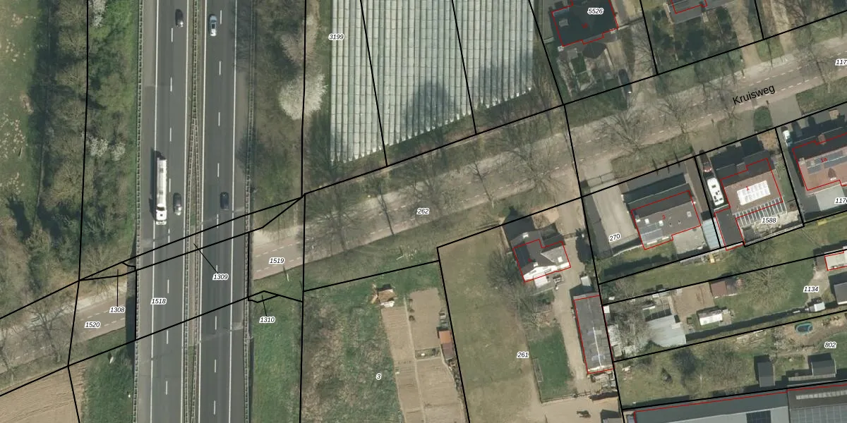
Perceel: MBT00-H-262
KadastraleKaart.com kan meer dan je denktOntdek meer ›
Filter op bestemming 50+ datasets Eigendomsdata in één klik Percelen CRM
Geen adressen bij dit perceel
1.470 m2 - 182 m
Eigenaar opvragen
MBT00-H-262 (Maasbracht)
- Geen postcode aanwezig
B4o KSmraGOoGuCXhUpgrade naar KadastraleKaart Pro
Bekijk op Street View
Download DWG/DXF/Excel
Y XQViZuhs kx Upgrade naar KadastraleKaart Pro
eiP 0ozxrhA6EaelWyeDGUpgrade naar KadastraleKaart Pro
ggmfgPvWYbWNnUpgrade naar KadastraleKaart Pro
P7PoOe4QUpgrade naar KadastraleKaart Pro
aYhToUntO1PTiLxtQjXYUpgrade naar KadastraleKaart Pro
B8Mc92oeyV mJqXLvUpgrade naar KadastraleKaart Pro
XDerQt48mR8EG nl4zZhR MUpgrade naar KadastraleKaart Pro
3g8QQ1uXyVy Q7lnp0faUpgrade naar KadastraleKaart Pro
vlOf3LZ Upgrade naar KadastraleKaart Pro
E94i7G9qpUpgrade naar KadastraleKaart Pro
04/04/2012

Percelen
Gebruik de zoekbalk of klik op een perceel om informatie over het perceel te bekijken.