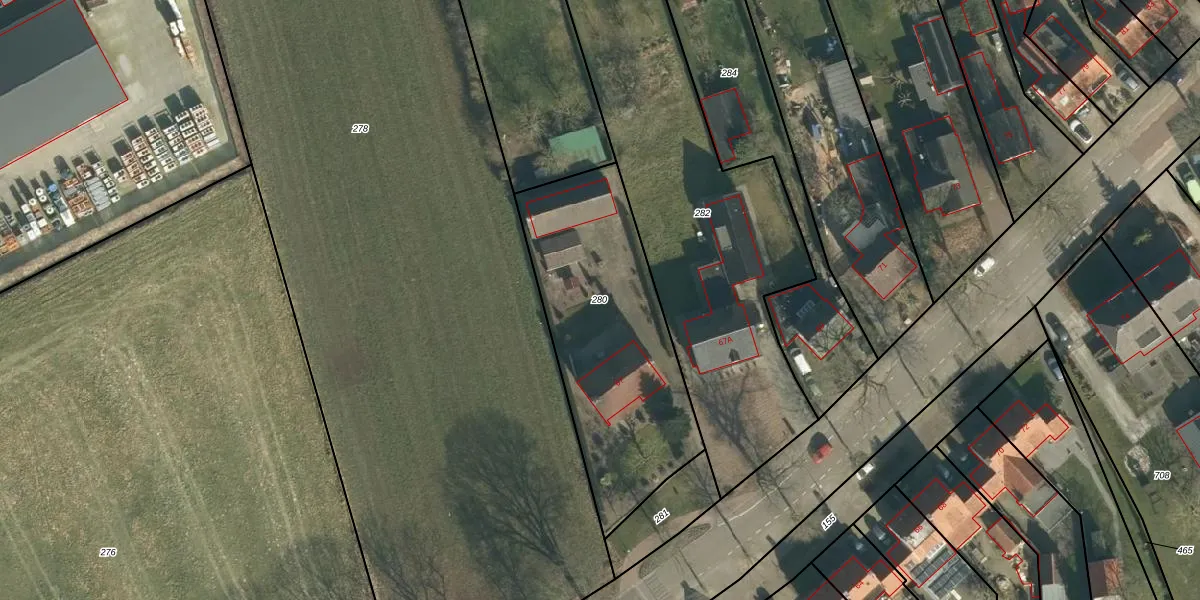
Perceel: MCG00-H-280
KadastraleKaart.com kan meer dan je denktOntdek meer ›
Filter op bestemming 50+ datasets Eigendomsdata in één klik Percelen CRM
1.045 m2 - 150 m
Eigenaar opvragen
MCG00-H-280 (Sint Michielsgestel)
- 5271 XA
4uW6up Cb2Lr6PNwUpgrade naar KadastraleKaart Pro
Bekijk op Street View
Download DWG/DXF/Excel
BQZXOyozqUpgrade naar KadastraleKaart Pro
yFxB7rcPQJLiXE34Yeoy2t7Upgrade naar KadastraleKaart Pro
xgb8bc5OzcFe4aGTwb1osUpgrade naar KadastraleKaart Pro
ZwY glEvfR 0K3pUpgrade naar KadastraleKaart Pro
E28uOHmQR Upgrade naar KadastraleKaart Pro
Eotw QsIpDRJ0Upgrade naar KadastraleKaart Pro
YgjvruR kS sv qMZZxJUpgrade naar KadastraleKaart Pro
qK90hRAxq vc itMFYtxUpgrade naar KadastraleKaart Pro
dnLMsahUG5US8STn ZUpgrade naar KadastraleKaart Pro
jycm1 rfUpgrade naar KadastraleKaart Pro
15/08/2005

Percelen
Gebruik de zoekbalk of klik op een perceel om informatie over het perceel te bekijken.